
Bão số 15 Koto hoành hành, đe dọa gần 8.000 trường học ở Philippines
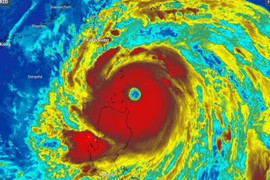
Bão Koto tăng cường độ và tiến về phía tây hướng tới khu vực Visayas, Philippines đe dọa gây lũ lụt và sạt lở đất trên diện rộng.

Bão Koto tăng cường độ và tiến về phía tây hướng tới khu vực Visayas, Philippines đe dọa gây lũ lụt và sạt lở đất trên diện rộng.

Verbena, cơn áp thấp thứ 22 trong mùa bão năm nay tại Philippines, đang di chuyển về phía Tây và dự kiến sẽ đi vào Biển Đông vào sáng 26/11.

Alice Guo, cựu thị trưởng thị trấn Bamban, Philippines, bị tuyên tù chung thân vì điều hành trung tâm lừa đảo và buôn người.

Bão Fung-Wong đang suy yếu và rời khỏi khu vực đất liền Philippines, sau khi càn quét qua tỉnh Aurora với sức gió mạnh nhất ở vùng gần tâm bão lên tới 185 km/h.
Cây cầu treo ở thị trấn Camaligan, tỉnh Camarines Sur bị rung lắc mạnh khi siêu bão Fung-wong quét qua miền nam Philippines.

Siêu bão Fung-Wong đổ bộ vào tỉnh Aurora, Philippines với sức gió mạnh nhất lên tới 185 km/h ở vùng gần tâm bão và giật tới 230 km/h.
Bão Fung-Wong mạnh lên thành siêu bão, đe dọa Philippines với gió giật 185 km/h, mưa lớn và sóng cao tới 5 m, buộc nhiều nơi sơ tán khẩn.
Bão cuồng phong Kalmaegi đổ bộ vào Philippines, càn quét trên diện rộng, gây ra thiệt hại nặng nề cho đảo quốc Đông Nam Á.

Một trực thăng quân sự Philippines rơi sáng 4/11 tại tỉnh Agusan del Sur, đảo Mindanao, khi đang làm nhiệm vụ cứu trợ các khu vực bị ảnh hưởng bởi bão Kalmaegi.

Bão Kalmaegi đổ bộ vào miền trung Philippines khiến ít nhất một người thiệt mạng, gây ra lũ lụt và mất điện diện rộng cùng hàng chục nghìn người dân phải sơ tán.

Philippines cáo buộc tàu Trung Quốc "cố tình" đâm vào tàu của nước này gần hòn đảo ở khu vực tranh chấp trên Biển Đông.

Động đất mạnh 7,5 độ làm rung chuyển miền Nam Philippines và cảnh báo sóng thần vào sáng 10/10, khiến người dân tại thành phố Davao hoảng loạn.

Trận động đất mạnh 7,6 độ Richter ở Philippines đang gây ra cảnh báo sóng thần và các chuyên gia cho biết họ dự kiến sẽ có thiệt hại và dư chấn.

Chỉ trong vòng chưa đầy một ngày, số người thiệt mạng trong trận động đất mạnh tại Philippines đã tăng từ 27 lên 72 người, cùng khoảng 200 người bị thương.

Ngày 30/9, ít nhất 27 người thiệt mạng và hàng trăm người bị thương trong trận động đất mạnh 6,9 độ richter làm rung chuyển Cebu, miền Trung Philippines.

Trận động đất mạnh 6,9 độ Richter đã xảy ra ngoài khơi tỉnh Cebu, vào tối 30/9, khiến ít nhất 27 người thiệt mạng và hơn một trăm người bị thương.

Số người thiệt mạng trong trận động đất mạnh 6,9 độ richter ở miền trung Philippines tăng lên 27 người với hơn 140 người bị thương.

Ngày 26/9, bão nhiệt đới Bualoi đổ bộ vào Philippines gây ra mưa lớn khiến 4 người chết, 400.000 người phải sơ tán khẩn cấp.

Sáng 26/9, bão Bualoi đang quần thảo Philippines, dự báo sẽ di chuyển nhanh vào Biển Đông và mạnh lên, miền Trung đối mặt gió giật cấp 16.

Hàng nghìn người tìm nơi trú ẩn ở Phlippines và Trung Quốc khi bão Ragasa đổ bộ, gây mưa lớn và nguy cơ sạt lở đất.

Siêu bão Ragasa đã càn quét miền Bắc Philippines khiến hàng chục nghìn người phải sơ tán khẩn cấp.

Siêu bão Ragasa dự kiến sẽ gây ra tình trạng tạm dừng các chuyến bay dài nhất từ trước đến nay tại sân bay quốc tế đông đúc của Hong Kong, Trung Quốc.

Philippines đối diện cùng lúc 2 thử thách, biểu tình chống tham nhũng quy mô lớn và thiên tai khốc liệt, khi siêu bão Ragasa áp sát, nguy cơ lũ quét và sạt lở đất.

Siêu bão Ragasa, cơn bão mạnh nhất năm 2025 đã áp sát đảo Luzon (Philippines) và Đài Loan (Trung Quốc) gây mưa lớn, gió giật trên cấp 17, hàng nghìn người sơ tán.

Philippines và Hong Kong đang tăng cường thực hiện các biện pháp khẩn cấp để ứng phó với siêu bão Ragasa dự kiến đổ bộ vào đầu tuần này.

Philippines và Đài Loan ra lệnh sơ tán người dân đến nơi an toàn trước nguy cơ lũ lụt và sạt lở đất khi siêu bão Ragasa đang tiến gần và mạnh lên.

Bộ Ngoại giao Mỹ ngày 12/9 ra thông điệp phản đối kế hoạch của Trung Quốc nhằm xây dựng một khu bảo tồn thiên nhiên trên bãi cạn Scarborough.

Trường học các cấp và văn phòng chính phủ ở vùng Metro Manila cùng 19 tỉnh khác của Philippines ngày 26/8 tiếp tục đóng cửa do mưa lớn, nguy cơ sạt lở đất.

Cơ quan Khảo sát Địa chất Mỹ (USGS) ngày 12/8 cho biết, trận động đất độ lớn 6,5 đã làm rung chuyển vùng Papua ở miền Đông Indonesia.

Acquene Arradaza, 35 tuổi, bị sát hại dã man sau khi bị bắt cóc từ một cửa hàng tạp hóa, và các nhà điều tra tin rằng đây là một "vụ tấn công có chủ đích".