
Ý nghĩa đặc biệt chuyến thăm Trung Quốc của Tổng Bí thư, Chủ tịch nước Tô Lâm
Thứ trưởng Thường trực Bộ Ngoại giao Nguyễn Minh Vũ nhấn mạnh những ý nghĩa đặc biệt trong chuyến thăm Trung Quốc của Tổng Bí thư, Chủ tịch nước Tô Lâm.

Thứ trưởng Thường trực Bộ Ngoại giao Nguyễn Minh Vũ nhấn mạnh những ý nghĩa đặc biệt trong chuyến thăm Trung Quốc của Tổng Bí thư, Chủ tịch nước Tô Lâm.

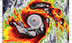
Theo Trung tâm Dự báo khí tượng thuỷ văn quốc gia, bão Sinlaku đã đạt cấp siêu bão - là một trong ba cơn bão mạnh nhất trong tháng 4 kể từ năm 1977.

Tổng thống Mỹ Donald Trump hôm Chủ nhật cho biết nước này sẽ phong tỏa eo biển Hormuz sau khi các cuộc đàm phán với Iran không đạt kết quả.
Tổng Bí thư, Chủ tịch nước Tô Lâm nhấn mạnh phải đổi mới phương thức lãnh đạo, siết kỷ luật thực thi, tăng cường giám sát, đưa Nghị quyết Đại hội XIV vào cuộc sống.
Chủ tịch Quốc hội Iran cho rằng Mỹ không giành được sự tin tưởng của phái đoàn Iran, trong khi đó Nga bày tỏ sẵn sàng hỗ trợ các nỗ lực trung gian tiếp theo.
Siêu dự án nghỉ dưỡng Laimian trị giá 13.000 tỷ đồng nằm im lìm, dang dở giữa bờ biển Gia Lai sau hơn 1 thập kỷ xây dựng.
Cơ quan khí tượng nhận định, bão Sinlaku khả năng mạnh thành siêu bão đầu tiên hoạt động trên khu vực Tây Bắc Thái Bình Dương trong mùa bão lũ năm nay.
Sau giai đoạn La Niña kéo dài, các mô hình dự báo khí tượng đồng loạt xác nhận sự hình thành của một kỳ Siêu El Niño từ hè năm 2026 và có thể kéo dài sang năm 2027.
Chỉ trong khoảng thời gian ngắn, Công an phường Cẩm Lệ, TP Đà Nẵng đã giúp du khách Nga tìm lại tài sản bỏ quên trên taxi.
Người dân Hà Nội có cơ hội hiếm hoi chiêm ngưỡng Trạm Vũ trụ Quốc tế (ISS) lướt qua bầu trời trong lần xuất hiện dài và sáng nhất tháng 4.
Tesla được cho là đang phát triển một mẫu SUV điện hoàn toàn mới với chi phí thấp hơn, nhằm mở rộng tệp khách hàng.

Một buổi lễ chào đón trang trọng đã được tổ chức tại Houston để chúc mừng nhóm hoàn thành hành trình 10 ngày tiến vào không gian sâu và trở lại Trái Đất an toàn.

iPhone gập lộ giá 50 triệu, MacBook Neo 13,99 triệu lên kệ, Apple tăng tốc tự chủ chip AI, tạo dấu ấn lớn trong tuần công nghệ.

Trong khuôn khổ chuyến thăm chính thức Italy, Chủ tịch Quốc hội Trần Thanh Mẫn đã gặp Lãnh sự danh dự Việt Nam tại Torino, bà Sandra Scagliotti cùng phu quân.

Hai trận bán kết Giải bóng đá U15 Quốc gia – Cúp Modern 2026 đã diễn ra hấp dẫn, kịch tính và tìm ra các bóng xuất sắc nhất góp mặt ở trận chung kết.

Khám phá hành trình đến Yên Tử, nơi kết hợp giữa vẻ đẹp thiên nhiên và di sản Phật giáo, giúp bạn tìm thấy bình an và sự kết nối tâm hồn.

Bàn thắng của Nguyễn Đình Bắc giúp CLB Công an Hà Nội thoát thua trước đội bét bảng PVF-CAND.

Đội tuyển futsal Việt Nam có chiến thắng thuyết phục trước Australia ở giải futsal Đông Nam Á 2026.

12 ngư dân cầu cứu khi tàu cá QNg 48988 TS bị thủng đáy do va chạm đá ngầm, khiến nước tràn vào khoang.

Chủ tiệm bánh mì không tên trên đường Đồ Chiểu, phường Vũng Tàu (TP.HCM) gây ngộ độc cho 108 người bị xử phạt 32 triệu đồng, buộc phải ngừng hoạt động 3 tháng.

Christina Koch, nữ phi hành gia duy nhất của Artemis II, từng gây vang dội với 328 ngày liên tiếp trên ISS và kỷ lục này giúp cô trở thành nhân tố chủ chốt của NASA.

Trong quý I/2026, Phòng Cảnh sát hình sự - Công an TP.HCM phát hiện 12 vụ trộm cắp chó, mèo, bắt giữ 31 đối tượng.

Tuần qua, iPhone gập lộ giá gây sốc, MacBook rẻ nhất lên kệ, Apple tăng tốc tự chủ chip AI và Artemis II khép lại hành trình lịch sử quanh Mặt Trăng.

Đại biểu Quốc hội đề xuất Hà Nội cho phép đỗ xe một phần trên vỉa hè ở nơi thiếu bãi đỗ, kèm điều kiện không ảnh hưởng hạ tầng, lối đi bộ và quyền lợi người dân.

Wang Hua - đối tượng trốn truy nã, bị lực lượng chức năng Đà Nẵng bắt giữ khi nhập cảnh qua Việt Nam du lịch.

Việc xây dựng thành công Cơ sở dữ liệu quốc gia về dân cư, triển khai căn cước gắn chip, định danh và xác thực điện tử là những thành tựu xuất sắc của C06.

Lương Thế Thành bị khán giả “ném đá” dữ dội vì vai ngoại tình trong "Bóng ma hạnh phúc", bà xã Thuý Diễm đã có những chia sẻ gây chú ý.

Bộ Công an đang lấy ý kiến sửa đổi, bổ sung một số điều của Nghị định 168 về xử phạt vi phạm hành chính trong lĩnh vực trật tự, an toàn giao thông đường bộ.

Người con trai qua đời do tai nạn giao thông vào đầu năm 2025, thế nhưng cả gia đình lại giấu mẹ già bằng cách dùng AI thay thế, gây ra nhiều tranh cãi.

Chỉ từ lá tía tô và vài lát gừng quen thuộc, nhiều người tận dụng như bài thuốc dân gian giúp giải cảm, giảm ho và hỗ trợ giảm cân hiệu quả nếu dùng đúng cách.

Trump Store gây chú ý khi bán vợt pickleball giá gần 5 triệu đồng, dù thiết kế và thông số không khác biệt nhiều so với thị trường.

Cập nhật V.League vòng 18 hôm nay: Đầy đủ lịch thi đấu, kết quả và bảng xếp hạng mới nhất.

Bác sĩ Nguyễn Huy Hoàng, Hội Y học dưới nước và Oxy cao áp Việt Nam lý giải nguyên nhân chi phí mổ tim, ghép tạng tại Việt Nam chỉ bằng 1/10 của Mỹ.