
Dự báo thời tiết ngày 29/5: Miền Bắc mưa lớn, miền Trung còn nắng nóng trên 36°C
Ngày 29/5, nắng nóng giảm cường độ, thu hẹp phạm vi ở miền Trung, nhiệt độ cao nhất trên 36°C, miền Bắc mưa rào và dông rải rác nhưng tập trung lúc chiều tối, đêm.

Ngày 29/5, nắng nóng giảm cường độ, thu hẹp phạm vi ở miền Trung, nhiệt độ cao nhất trên 36°C, miền Bắc mưa rào và dông rải rác nhưng tập trung lúc chiều tối, đêm.

Mưa lớn kèm sấm chớp trút xuống Hà Nội chiều 28/5 khiến nhiều tuyến đường quanh Mỹ Đình ngập sâu, người dân chật vật về nhà giờ tan tầm.

Dự án chống ngập tại Hà Nội được khởi công từ ngày 25/3/2026,và có thời gian thực hiện 5 tháng, hoàn thành vào tháng 8 năm 2026.
Trận mưa lớn kéo dài từ đêm đến sáng 30/3, kèm mưa đá, khiến nhiều tuyến phố Hà Nội ngập úng, giao thông ùn tắc, người dân chật vật di chuyển.

Hàng chục công nhân làm việc dưới lòng sông Kim Ngưu (Hà Nội) để nạo vét, vận chuyển khoảng 300 tấn bùn/ngày, khơi thông dòng chảy, chuẩn bị ứng phó mùa mưa bão.

Tại họp báo Chính phủ thường kỳ chiều 8/11, Thứ trưởng Bộ Nông nghiệp và Môi trường Phùng Đức Tiến nêu rõ nguyên nhân gây ngập lụt từng vùng trên cả nước.

Ngập lụt tại Hà Nội gây đảo lộn cuộc sống người dân, bổ cập nước làm sạch sông Tô Lịch… là những vấn đề được đại biểu Quốc hội quan tâm trong buổi họp tổ sáng nay.
Lội sâu trong bùn đen, hít thở mùi khí thải nồng nặc, những công nhân thoát nước vẫn miệt mài khơi thông dòng chảy, giúp Hà Nội giảm cảnh úng ngập mùa mưa lũ.

Ông Trần Sỹ Thanh cho biết, một trong những nguyên nhân gây ngập ngập lụt ở Hà Nội là các sông, hồ những năm qua không được nạo vét.

Dự báo thời tiết ngày 13/10, Hà Nội chuyển mưa rào và dông rải rác, cục bộ mưa to, tình trạng ngập lụt do lũ còn kéo dài khoảng 1-2 ngày tới.

Những đứa trẻ đỏ hỏn, bị cô lập trong vùng lũ khóc nấc tìm sữa có lẽ sẽ là hình ảnh đầy xót xa của người dân vùng lũ những ngày qua.

Cơn lũ lịch sử tràn về thôn Kim Tiên, xã Thư Lâm (Hà Nội) nhấn chìm toàn bộ nhà cửa và sinh kế của người dân chỉ sau nửa ngày.

''Lụt từ ngã tư đường phố'' - ca khúc chế nổi tiếng của chương trình Táo quân được chia sẻ rầm rộ mỗi khi phố phường Hà Nội ngập trong biển nước.

Dự báo thời tiết ngày 8/10, Hà Nội và nhiều tỉnh miền Bắc còn mưa vừa, mưa to và dông, có nơi mưa rất to trong buổi sáng, nguy cơ ngập úng, từ chiều mưa giảm dần.

Tiểu thương ở Hà Nội chia sẻ cứ thấy trời mưa là sợ và phải tìm cách để mưu sinh trong biển nước mênh mông.

Do ảnh hưởng của hoàn lưu bão số 11, từ đêm 6/10 đến sáng 7/10, Bắc Bộ và Thanh Hóa đã có mưa vừa, mưa to, có nơi mưa rất to.

Do ảnh hưởng của bão số 11, toàn thành phố Hà Nội hứng trận mưa lớn từ sáng sớm đến chiều tối ngày 7/10.

Hà Nội sáng 7/10 chìm trong biển nước do hoàn lưu của bão số 11, nhiều tuyến đường ngập sâu gần 1m, người dân vật lộn dắt xe, ngã sõng soài giữa phố.

Mưa lớn kéo dài từ đêm qua đến sáng nay làm nhiều tuyến phố Hà Nội ngập sâu, người dân vật vã đi làm rồi bất lực quay về giữa biển nước.

Dự báo thời tiết ngày 7/10, mưa lớn tiếp tục xảy ra trên diện rộng ở Bắc Bộ và Thanh Hoá, nguy cơ lũ quét, sạt lở đất và ngập úng đô thị.

Trong bối cảnh đô thị hóa nhanh và hệ thống thoát nước quá tải, TP.HCM đang thử nghiệm giải pháp hồ điều tiết ngầm với sức chứa 13.000 m³ nước mưa.
Mưa lớn kéo dài do hoàn lưu bão số 10 khiến nước sông Hồng dâng cao, nhấn chìm hoa màu, cô lập bãi giữa và gây ngập úng nhiều khu vực ven sông ở Hà Nội.

Dù mưa dứt và trời Hà Nội nắng gắt từ sáng 2/10, nhưng đoạn đường Võ Chí Công vẫn ngập sâu tới nửa mét gây khó khăn cho việc đi lại của người dân.

So sánh cảnh thành phố "tê liệt vì ngập" hôm 30/9 với trận lụt lịch sử năm 2008, nhiều người Hà Nội chia sẻ những câu chuyện khó quên cách đây 17 năm.

Sáng 1/10, nhiều tuyến đường Hà Nội vẫn ngập sâu, hàng loạt xe chết máy khi qua đây, phải nhờ đến sự ‘cứu nguy’ tại chỗ của những thợ sửa xe lưu động.

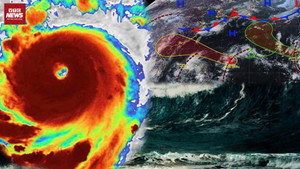
Biển Đông lại tiếp tục chuẩn bị đón nhận một mối đe dọa mới, cơn bão số 11 khả năng hình thành và có dấu hiệu mạnh lên rất nhanh.

Đại diện Sở GD&ĐT Hà Nội cho rằng việc quyết định nghỉ học trên diện toàn thành phố cần phải cân nhắc kỹ.

Giày ướt mưa hoặc sũng nước do lội trong ngày ngập lụt là vấn đề khá phiền toái, bạn cần biết các mẹo làm khô giày nhanh chóng và mẹo khử mùi hôi giày.

Chiều 30/9, ảnh hưởng hoàn lưu bão số 10 khiến Hà Nội chìm trong cơn mưa trắng trời, nước ngập tới bụng người, 65 điểm tê liệt, giao thông hỗn loạn.

Hoàn lưu bão số 10 gây mưa lớn tại Hà Nội, nhiều tuyến đường biến thành sông, xe chết máy la liệt khiến dòng người nối đuôi nhau dắt bộ qua đoạn ngập.