Ảnh vệ tinh siêu bão Sinlaku 'hoành hành' ở Thái Bình Dương.
Hình ảnh vệ tinh do NASA và các cơ quan khí tượng Nhật Bản công bố cho thấy siêu bão Sinlaku đang hoành hành ở phía tây Thái Bình Dương vào thứ Hai (ngày 13/4) với sức gió duy trì tối đa khoảng 290 km/h.
Theo Cơ quan Khí tượng Quốc gia Mỹ, vào chiều thứ Hai, cơn bão nằm cách Guam khoảng 426 km về phía đông nam và đang di chuyển về phía tây bắc. Các nhà dự báo cho rằng nó sẽ đi qua gần Saipan và Tinian với sức mạnh của một hệ thống bão cấp 4 hoặc cấp 5 mạnh.
Các nhà chức trách cảnh báo về mưa lớn, lũ quét và gió ngày càng mạnh có khả năng gây thiệt hại trên khắp Guam và quần đảo Bắc Mariana, kêu gọi người dân hoàn tất công tác chuẩn bị và trú ẩn tại chỗ.

Một số hình ảnh về siêu bão Sinlaku.
Đối với người dân Guam, thời điểm hiện tại giống như sự yên ắng trước cơn bão. Siêu bão Sinlaku tăng cường nhanh chóng trong 24 giờ qua, vượt xa các dự báo ban đầu và trở thành cơn bão mạnh nhất trên Trái Đất tính đến thời điểm này trong năm 2026.
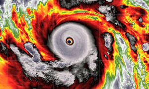
Ảnh vệ tinh vào sáng sớm thứ Hai theo giờ địa phương cho thấy Sinlaku là một cơn bão cực kỳ mạnh, phát triển thành một hệ thống rất lớn sau quá trình tăng cường dữ dội trong cuối tuần.
Cơn siêu bão cấp 5 hiện có sức gió duy trì lên tới 155 knot (khoảng 287 km/h), với áp suất trung tâm 896 mbar – một mức cực kỳ mạnh đối với bão ở Thái Bình Dương (mức trung bình khoảng hơn 1.000 mbar, áp suất càng thấp thì bão càng dữ dội).
Phân tích vệ tinh tự động theo phương pháp Dvorak tiên tiến cho thấy cơn bão thậm chí có thể còn mạnh hơn, với sức gió lên tới 304 km/h và áp suất trung tâm khoảng 888 mbar. Dựa trên hoạt động sét trong “mắt bão”, Sinlaku vẫn đang tiếp tục mạnh lên nhanh chóng.

Bão mạnh lên một phần do nước biển ấm bất thường trong tháng 4.
Trong khi đảo Guam vẫn đang theo dõi mức độ ảnh hưởng, dữ liệu theo dõi mới nhất cho thấy vùng có khả năng chịu tác động nghiêm trọng nhất đã dịch chuyển về phía quần đảo Bắc Mariana. Áp suất trung tâm của bão giảm mạnh xuống 896 mbar, nhờ nguồn năng lượng lớn mà Sinlaku hấp thụ từ vùng nước biển ấm bất thường trong tháng 4.
Các nhà khí tượng cảnh báo về một cú đánh trực diện cực kỳ nguy hiểm, với thành mắt bão được dự báo sẽ quét qua các đảo Saipan và Tinian với sức mạnh của bão cấp 4 mạnh hoặc thậm chí cấp 5. Dù ở mức nào, hậu quả cũng có thể rất thảm khốc.
Trong những năm qua, một số cơn bão mạnh tấn công quần đảo Mariana, bao gồm Karen, Paka và Pongsona. Cần lưu ý rằng hệ thống cảnh báo sẵn sàng ứng phó bão nhiệt đới (TCCR) của Guam là một trong những hệ thống tiên tiến nhất thế giới.

Một số hình ảnh khác cho thấy sức mạnh của cơn bão.
Siêu bão Karen (1962) có sức gió duy trì tối đa 298km/h và được coi là “cơn bão chuẩn mực”. Nó đã phá hủy 95% nhà cửa và dẫn đến việc áp dụng các quy chuẩn xây dựng bằng bê tông hiện nay ở Guam.
Bão Paka (1997) ghi nhận gió giật lên tới 380 km/h (một kỷ lục tại căn cứ không quân Andersen, dù sau đó bị tranh cãi), khiến đảo mất điện trong nhiều tuần. Sau này, các nhà khí tượng ước tính sức gió duy trì thực tế khoảng 115–125 knot (212 – 232 km/h) do thiết bị đo bị hỏng khi bão đạt đỉnh.
Cơn bão mạnh thứ ba ảnh hưởng tới Guam là Pongsona (2002), với sức gió 278 km/h, gây ra một vụ cháy lớn tại các bể nhiên liệu của cảng và thiệt hại hơn 700 triệu USD. Đây là lần ảnh hưởng lớn cuối cùng trước khoảng thời gian “yên ắng” kéo dài 20 năm.





Bình luận