
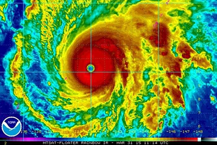
Siêu bão Maysak với sức gió mạnh cấp 5 trong thang bão của Mỹ sắp đổ bộ vào Phillippines. Sức mạnh của siêu bão này được dự đoán ngang ngửa Hayan hồi năm 2013

Ảnh chụp mắt bão từ vệ tinh đáng sợ với xoáy mây đậm đặc, khổng lồ. Phi hành gia Samantha Cristoforetti làm việc ở trạm vũ trụ quốc tế đã chụp lại hình ảnh này ngoài không gian

Đây là cơn bão hình thành nhanh và hiếm thấy vì ít khi bão xuất hiện vào thời điểm này trong năm

Tốc độ di chuyển của siêu bão này đạt tới 250km/h, được dự báo sẽ quét qua miền Bắc Philippines vào cuối tuần này

Hiện nay, bão đang ở vị trí 10,4 độ vĩ bắc, 138,2 độ kinh đông, cách Philippines 1.920 km về phía Đông




Bình luận