
Tròn 16 năm sau 'quái vật' Katrina, Mỹ chuẩn bị đón siêu bão Ida cực nguy hiểm
Các quan chức thời tiết Mỹ cảnh báo Ida - cơn bão dự kiến đổ bộ vào tối 29/8 sẽ gây ra mối đe dọa đáng kể khi nó đổ bộ dọc bờ biển bang Louisiana và Mississippi.

Các quan chức thời tiết Mỹ cảnh báo Ida - cơn bão dự kiến đổ bộ vào tối 29/8 sẽ gây ra mối đe dọa đáng kể khi nó đổ bộ dọc bờ biển bang Louisiana và Mississippi.

Ít nhất 21 người chết, 96 người mất tích sau khi siêu bão mạnh nhất 20 năm qua, có tên gọi Tauktae, đổ bộ vào phía Tây Nam nước này.

Bão Surigae rất ít khả năng đi vào Biển Đông và không ảnh hưởng đến đất liền, trong khi đó đợt nắng nóng mới ở Bắc và Trung Bộ khả năng kéo dài nhiều ngày.

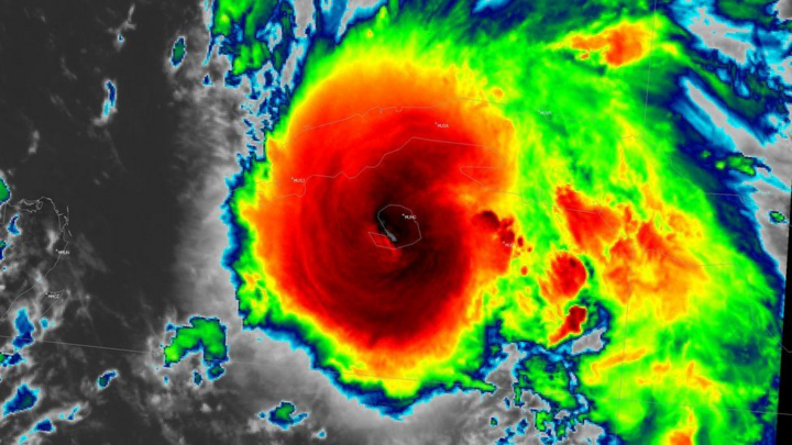
Sáng 19/4, tâm siêu bão Surigae cách bờ biển miền Trung Philippines khoảng 270km về phía Đông, sức gió mạnh nhất vùng gần tâm siêu bão mạnh cấp 17, giật trên cấp 17.

Hơn 19.000 người dân tỉnh Catanduanes sơ tán đến nơi trú ẩn tạm thời để tránh siêu bão cách Catanduanes 290 km về phía Đông hôm 18/4.

Ban Chỉ đạo Trung ương về phòng, chống thiên tai vừa ban hành văn bản gửi các tỉnh từ Quảng Ninh đến Cà Mau về sẵn sàng ứng phó siêu bão Surigae giật trên cấp 17.

7h sáng nay, vị trí tâm siêu bão SURIGAE cách bờ biển miền Trung Philippines khoảng 420km về phía Đông với sức gió mạnh nhất giật trên cấp 17.

Bão số 13 ở cách Đà Nẵng - Thừa Thiên Huế khoảng 300km, sức gió mạnh nhất vùng gần tâm bão mạnh cấp 13-14 (135-165km/giờ), giật cấp 17.

Bão Vamco càn quét dữ dội các tỉnh trên đảo chính Luzon của Philippines, khiến một người chết, 3 người mất tích và đang trên đường hướng vào Việt Nam.

Chính phủ Philippines cho biết, ít nhất 10 người chết và 3 người mất tích sau khi siêu bão Goni càn quét phía Nam đảo Luzon của Philippines hôm 1/11.
Các quan chức cho biết, siêu bão Goni đổ bộ vào miền Đông Philippines vào sáng sớm Chủ nhật (1/11) khiến 1 triệu người dân phải sơ tán.

Siêu bão Goni đang chuẩn bị đi vào Philippines với vận tốc 200-220km/h, sau đó đi vào Biển Đông theo hướng Tây Tây Bắc.

Philippines huy động quân đội trực chiến ở khu vực Nam Tagalog, chuẩn bị đón siêu bão Goni đổ bộ vào ngày mai.

Siêu bão Goni cách miền trung Philippines khoảng 360km vẫn đang gió mạnh cấp 17 (200-220km/giờ), giật trên cấp 17 và sẽ giảm cấp khi vào Biển Đông.

Giới chức Philippines ra lệnh sơ tán hàng nghìn cư dân ở phía nam của đảo chính Luzon khi siêu bão mạnh nhất thế giới năm nay sắp đổ bộ vào quốc gia này.

Siêu bão Goni với sức gió cấp 17 (200-220km/giờ), giật trên cấp 17 đang tiến vào Philippines, sau đó sẽ đi vào Biển Đông.

Bão Goni tiếp tục mạnh lên khi nó di chuyển về phía đất liền đảo Luzon hôm 30/10 trước khi đổ bộ vào khu vực Quezon-Aurora từ đêm 1/11.

Bão số 9 tàn phá hàng chục vạn nhà dân, trường học, công trình kinh tế; mưa lớn đe dọa gây thiệt hại nặng nề ở Tây Nguyên những ngày tới nếu không cảnh giác.

Từ trưa 26/10, người Đà Nẵng khẩn trương chằng chống nhà cửa, di chuyển đồ đạc chuẩn bị ứng phó bão số 9 được dự báo mạnh nhất từ đầu năm đổ bộ.

Vào chiều qua và sáng nay, siêu bão Molave càn quét nhiều khu vực Philippines và đang đi vào Biển Đông, chuẩn bị đổ bộ Việt Nam.

Kẻ tạo tin giả “bão số 8 sẽ mạnh cấp siêu bão và đổ bộ miền Trung” hẳn là vô cảm trước nỗi khổ của đồng bào nên mới làm được chuyện thất đức đến thế.

"Trong lúc bà con miền Trung đang phải gồng mình chống chịu với mưa lũ, những thông tin giả về bão là vô lương tâm, rất đáng lên án", chuyên gia khí tượng nói.
Siêu bão Haishen quét qua đảo Kyushu, phía Tây Nam Nhật Bản khiến 2 người chết, hơn 100 người bị thương và 4 người mất tích trong đó có 2 nam thực tập sinh Việt Nam.

Ít nhất 14 người thiệt mạng sau khi siêu bão Laura đổ bộ vào các bang miền Nam nước Mỹ là Louisiana và Texas.

Trước dự báo bão Isaias đổ bộ với cường độ mạnh và kéo dài, Tổng thống Mỹ Donald Trump ban bố tình trạng khẩn cấp đối với bang Florida.

Bão Phanfone càn quét, tàn phá nhà cửa, gây lũ lụt và mất điện diện rộng ở Philippines, ít nhất 16 người thiệt mạng, các quan chức Philippines cho biết hôm 26/12.

Hai cơn bão mới chuẩn bị đổ bộ Nhật Bản, trong khi công việc khắc phục hậu quả của siêu bão Hagibis chưa hoàn thành, Cơ quan Khí tượng Nhật Bản cho hay.

Trung tâm sơ tán Nhật Bản đối mặt với làn sóng chỉ trích dữ dội do từ chối hai người vô gia cư trong siêu bão Hagibis cuối tuần trước.

Tính đến 16h chiều 14/10 (giờ Nhật Bản), số người chết do bão Hagibis lên tới 52 người, 18 người mất tích, 168 người bị thương tại 11 tỉnh, thành.

Theo Công ty điện lực Tokyo, riêng khu vực Tokyo đến nay vẫn còn khoảng 53.000 hộ chịu cảnh mất điện.