Ông Roberto Monterola, Giám đốc Trung tâm Điều hành Khẩn cấp tỉnh Catanduanes, hầu hết những người sơ tán sống ở các khu vực ven biển và vùng trũng thấp có nguy cơ xảy ra lũ quét và triều cường.
Trong bản tin thời tiết chiều 18/4, Cơ quan Quản lý dịch vụ Khí quyển, Địa vật lý và Thiên văn Philippines (PAGASA) cho biết bão Surigae suy yếu nhẹ và di chuyển chậm lại. Lần cuối cùng nó được quan sát là khi cách tỉnh Catanduanes 290 km về phía Đông.

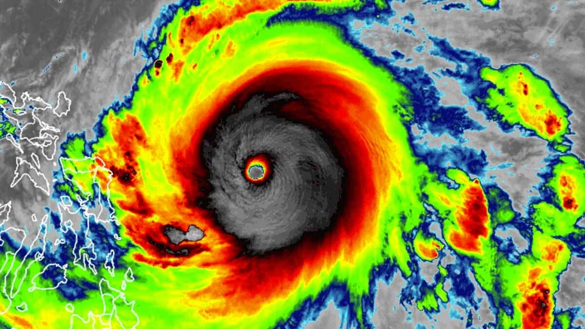
Surigae là siêu bão đầu đầu tiên tấn công Philippines năm 2021. (Ảnh: CNN)
Surigae hiện di chuyển theo hướng Tây - Tây Bắc với tốc độ 15 km/h, sức gió vùng gần tâm bão lên tới 205 km/h.
Theo dữ liệu của Cơ quan Khí quyển và Đại dương Quốc gia Mỹ, Surigae hiện là cơn bão mạnh nhất được ghi nhận trong tháng Tư, vượt qua siêu bão Maysak vào năm 2015.
Trước đó, PAGASA ra cảnh báo tại các đảo Luzon, Visayas, Northern Samar, Eastern Samar, Samar và Mindanao. Giới chức cũng báo động nguy cơ xảy ra lũ lụt, lũ quét và sạt lở đất trong cơn bão.
Surigae là siêu bão đầu đầu tiên tấn công Philippines năm 2021. Trung bình mỗi năm quốc gia Đông Nam Á đón 20 cơn bão.
Siêu bão Surigae di chuyển chậm về phía Philippines sau khi nó phát triển vào đầu tuần trước và nhanh chóng mạnh lên vào ngày 16-17/4 khi ở gần Biển Đông.














Bình luận