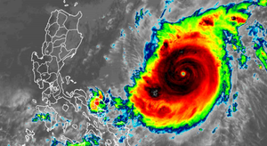
Khoảng 1h ngày 1/11, vị trí tâm siêu bão Goni ở khoảng 13,7 độ Vĩ Bắc, 125,0 độ Kinh Đông, cách miền trung Philippines khoảng 70km về phía Đông. Sức gió mạnh nhất vùng gần tâm siêu bão mạnh cấp 17 (200-220km/h), giật trên cấp 17.
Dự báo trong 24 giờ tới, siêu bão đi theo hướng Tây, mỗi giờ đi được khoảng 20km và suy yếu.
Đến 1h ngày 2/11, vị trí tâm bão ở khoảng 14,5 độ Vĩ Bắc, 120,2 độ Kinh Đông, trên khu vực miền Trung Philippines. Sức gió mạnh nhất vùng gần tâm bão mạnh cấp 12-13 (115-150km/h), giật cấp 15.

Siêu bão Goni hướng vào Biển Đông theo hướng Tây Tây Bắc.
Trong 24 đến 48 giờ tiếp theo, bão đi chủ yếu theo hướng Tây Tây Bắc, mỗi giờ đi được khoảng 20km, đi vào Biển Đông.
Đến 1h ngày 3/11, vị trí tâm bão ở khoảng 15,4 độ Vĩ Bắc, 115,4 độ Kinh Đông, cách quần đảo Hoàng Sa khoảng 380km về phía Đông Đông Nam. Sức gió mạnh nhất vùng gần tâm bão mạnh cấp 10-11 (90-115km/h), giật cấp 13.
Trong 48 đến 72 giờ tiếp theo, bão đi theo hướng Tây, mỗi giờ đi được 10-15km. Đến 1h ngày 04/11, vị trí tâm bão ở khoảng 15,2 độ Vĩ Bắc; 112,1 độ Kinh Đông, trên vùng biển phía Nam quần đảo Hoàng Sa. Sức gió mạnh nhất vùng gần tâm bão mạnh cấp 10-11 (90-115km/h), giật cấp 13.
Dự báo thời tiết các khu vực trên cả nước:
Phía Tây Bắc Bộ và Đông Bắc Bộ: Nhiệt độ trong khoảng 19-28 độ C, có mưa vài nơi, có sương mù, trưa chiều hửng nắng. Sáng và đêm trời lạnh.
Thanh Hóa - Thừa Thiên Huế: Nhiệt độ trong khoảng 21-28 độ C, có nơi trên 28 độ C. Nhiều mây, phía Bắc có mưa vài nơi; phía Nam có mưa, mưa rào rải rác. Gió bắc đến tây bắc cấp 2-3.
Đà Nẵng Đến Bình Thuận: Nhiệt độ từ 22-31 độ C, phía Nam có nơi trên 31 độ C. Nhiều mây, phía Bắc có mưa, mưa rào rải rác; phía Nam có mưa rào và dông vài nơi.
Tây Nguyên: Nhiệt độ từ 26-29 độ C, có nơi trên 29 độ C. Có mây, có mưa rào và dông vài nơi; riêng chiều tối có mưa rào và dông rải rác. Trong cơn dông có khả năng xảy ra lốc, sét và gió giật mạnh.
Nam Bộ: Nhiệt độ từ 23-33 độ, có nơi trên 33 độ C. Có mây, có mưa rào và dông vài nơi; riêng chiều tối có mưa rào và dông rải rác. Trong cơn dông có khả năng xảy ra lốc, sét và gió giật mạnh.
Hà Nội: Nhiệt độ từ 21-28 độ C. Nhiều mây, có mưa vài nơi, sáng sớm có nơi có sương mù, trưa chiều giảm mây hửng nắng. Sáng sớm và đêm trời lạnh.



















Bình luận