Inquirer đưa tin, quân đội Philippines ở Nam Tagalog được đặt trong trạng thái trực chiến, sẵn sàng hỗ trợ những cư dân bị ảnh hưởng khi siêu bão Goni, chuẩn bị đổ bộ vào khu vực.
Theo Đại úy Jayrald Ternio, người đứng đầu văn phòng công vụ của Sư đoàn bộ binh số 2 của quân đội Philippines có trụ sở tại Tanay, Rizal, cho biết các thành viên đội Hỗ trợ nhân đạo và ứng phó thảm họa (HADR) đang ứng trực tại các khu vực vừa bị ảnh hưởng nặng nề bởi bão Molave.
“Các binh sĩ đã ở đó. Chúng tôi liên kết chặt chẽ với các đơn vị chính quyền địa phương trong việc chuẩn bị cho cơn bão Goni. Những gì chúng tôi đã làm để ứng phó với bão Molave sẽ được tiếp tục cho tới khi bão Goni đi qua", Đại úy Jayrald Ternio cho hay.

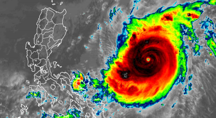
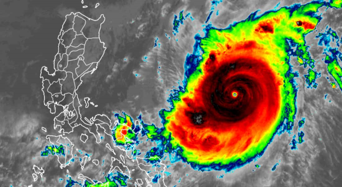
Philippines huy động lực lượng quân đội chuẩn bị ứng phó siêu bão Goni. (Ảnh: NOAA)
Quan chức Philippines chỉ thị, điều động lực lượng binh sĩ đã sẵn sàng hỗ trợ và sử dụng mọi nguồn lực sẵn có để giúp đỡ người dân trong mọi thảm họa "mà không để bất kỳ mối đe dọa khác nào ảnh hưởng tới sức khỏe, an ninh và an toàn của binh sĩ".
Thiếu tướng, sư đoàn trưởng Greg Almerol, quân đội Philippines cho biết, 419 binh lính và 91 phương tiện quân sự đã được đặt trong tình trạng báo động và sẵn sàng triển khai để thực hiện các nhiệm vụ nhân đạo và cứu hộ trên khắp vùng Nam Tagalo trong trường hợp cần thiết.
Thiếu tướng Almerol nhắc nhở binh sĩ nâng cao cảnh giác trong tình hình này. Ông cho biết, nhân viên đội Hỗ trợ nhân đạo và ứng phó thảm họa (HADR) cũng được hướng dẫn tuân thủ nghiêm ngặt các tiêu chuẩn sức khỏe tối thiểu để bảo vệ khỏi SARS-CoV-2.
Goni được coi là siêu bão mạnh nhất thế giới trong năm nay. Goni từ một áp thấp nhiệt đới mạnh lên thành siêu bão khi di chuyển qua vùng nước ấm phía tây Thái Bình Dương. Chỉ trong 1 ngày, sức gió tối đa của Goni tăng từ 160 km/h lên 290 km/h.
Theo cơ quan Khí quyển, Địa lý và Thiên văn Philippines (PAGASA), bão Goni di chuyển với tốc độ 20 km/h theo hướng tây, hướng về Aurora và Quezon. Dự kiến, khi đổ bộ vào khu vực này đêm 1/11 hoặc sáng 2/11, sức gió rơi vào khoảng 195 km/h.
Giới chức Philippines ra lệnh sơ tán hơn 200.000 người khi siêu sắp đổ bộ. Theo dự báo của cơ quan khí tượng quốc gia, đến sáng 1/11, siêu bão Goni sẽ gây mưa lớn và dữ dội tại nhiều khu vực miền Trung Philippines.


















Bình luận