Cộng đồng ở các khu vực ven biển đã được lệnh sơ tán trước, nhưng những người đang trú ẩn trong nhà sẽ phải chuẩn bị tinh thần đối mặt với một trong những cơn bão lớn nhất sau bão Katrina năm 2005.

Mái nhà bị thổi bay trong bão Ida. (Ảnh: AP)
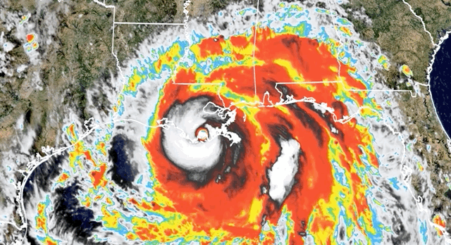
Ida đổ bộ với sức gió mạnh trong phạm vi kéo dài 80 km tính từ mắt bão. Cảnh báo lũ quét đã được ban hành cho trung tâm thành phố New Orleans, nơi các dịch vụ y tế khẩn cấp đang quay cuồng vì làn sóng COVID-19 thứ 4.
Các quan chức trong khi đó hy vọng các con đê mới được gia cố trong khu vực sẽ đủ sức chống chọi, mặc dù họ vẫn tính đến khả năng lũ áp đảo ở một số nơi.
"Đây là một trong những cơn bão mạnh nhất đổ bộ vào đây trong thời hiện đại", Thống đốc bang Louisiana John Bel Edwards nhận định.

Nước tràn vào một ngôi nhà ven biển. (Ảnh: Reuters)
Theo cơ quan tiện ích bang Louisiana, tình trạng mất điện trong những giờ đầu tiên bão đổ bộ ảnh hưởng đến hơn 530.000 ngôi nhà và cơ sở kinh doanh. Việc mất điện được dự báo sẽ còn lan rộng.
"Ngay khi cơn bão đi qua, chúng tôi sẽ dốc toàn lực cho việc cứu hộ và khắc phục hậu quả", Tổng thống Mỹ Joe Biden nói sau cuộc họp giao ban tại trụ sở Cơ quan quản lý khẩn cấp liên bang ở Washington.
Theo ông Biden, 500 nhân viên khẩn cấp liên bang đã được điều động tại Texas và Louisiana để ứng phó với cơn bão.
Video: Sức mạnh khủng khiếp của siêu bão Ida (Nguồn: ABC News)
Sau vài giờ đổ bộ, bão duy trì sức gió ở mức 201 km/h, được phân loại là bão cấp 3 nhưng vẫn còn có sức đe dọa, theo Trung tâm bão quốc gia Mỹ (NHC).
Tình trạng ngập lụt do triều cường đã vượt quá mức dự báo 1,83 m dọc theo bờ biển. Các video được đăng tải trên mạng xã hội cho thấy nước lũ biến các đoạn quốc lộ 90 dọc theo bờ biển Louisiana và Mississippi thành sông.
Video: Ngập lụt nghiêm trọng ở nhiều khu vực do bão Ida















Bình luận