Hôm 12/11, cơ quan Khí quyển, Địa lý và Thiên văn Philippines (PAGASA) cho biết, bão Vamco với sức gió 155 km/h, giật 255km/h đổ bộ vào các tỉnh Quezon, phía Nam thủ đô Manila, gây mưa lớn trên diện rộng.
Theo PAGASA, một người đàn ông 68 tuổi được phát hiện chết trên nóc nhà tại một ngôi làng ven biển ở tỉnh Camarines Norte. Tại địa phương này, hiện có 3 người mất tích.
Ông Marcelino Teodoro, người đứng đầu thành phố Marikina, ngoại ô Manila, cho biết người dân đang dọn dẹp sau những trận mưa như trút nước làm ngập lụt đường xá và nhà cửa. “Nhiều cư dân của chúng tôi đã bị ngâm qua đêm. Ở một số khu vực, lũ lụt đã lên đến tầng hai và nóc nhà”, ông Marcelino Teodoro cho biết.

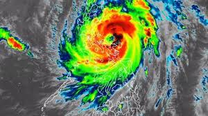
Bão Vamco càn quét dữ dội ở Philippines. (Ảnh: Reuters)
Các chuyến bay của hãng hàng không và vận chuyển hàng loạt ở thủ đô Manila đã bị đình chỉ trong khi các cảng tại khu vực bão đổ bộ tạm dừng hoạt động. Công việc của chính quyền bị đình trệ và thị trường tài chính đóng cửa.
Trước đó, PhilStar đưa tin, nhà chức trách Philippines đã di tản hàng nghìn ngôi làng nằm trong khu vực gần đường đi của tâm bão, bao gồm các khu vực ven biển. Khoảng 400.000 người được đưa tới cơ sở trú ẩn an toàn.
Theo dự kiến, bão Vamco sẽ rời Philippines trong chiều nay và tiến vào Việt Nam. Đây sẽ là cơn bão số 13 đổ bộ vào Việt Nam. Theo dự báo của cơ quan khí tượng thủy văn, bão Vamco sẽ đổ bộ vào miền Trung Việt Nam vào hôm 16/11, mang theo những cơn mưa dữ dội.
Hàng năm, Philippines hứng chịu khoảng 20 cơn bão nhiệt đới. Vamco, cơn bão thứ 21 đổ bộ Philippines trong năm nay khi nước này đang quay cuồng khắc phục hậu quả cơn bão Molave.
















Bình luận