"Ida được dự báo sẽ đổ bộ vào đất liền như một cơn bão cấp 4 (cấp cực kỳ nguy hiểm)", Cơ quan Thời tiết Quốc gia Mỹ chi nhánh thành phố New Orleans thông tin trên Twitter.
Ida có sức gió tối đa lên tới 129 km/h khi nó di chuyển qua phía tây Cuba vào tối 27/8. Bão sẽ di chuyển vào Vịnh Mexico vào 28/7. Dự kiến, Ida sẽ đổ bộ vào phía Tây New Orleans và phía Đông Lake Charles vào chiều hoặc tối 29/8, tròn 16 năm sau khi siêu bão Katrina tấn công Louisiana khiến gần 2.000 người thiệt mạng.
"Những gì tôi có thể nói với các bạn là cơn bão này đang mạnh lên nhanh chóng. Tình tình có vẻ đang thay đổi từng giờ", Thống đốc Louisiana John Bel Edwards nói trong cuộc họp báo hôm 27/8.
Edwards cho biết ông đã nói chuyện với các chuyên gia dự báo của trung tâm báo bão. Họ nói rằng Ida đang mạnh lên nhanh hơn dự kiến.
Ida dự kiến đổ bộ vào Louisiana vào cùng ngày bão Katrina tấn công bang này vào 16 năm trước. (Ảnh: NOAA).

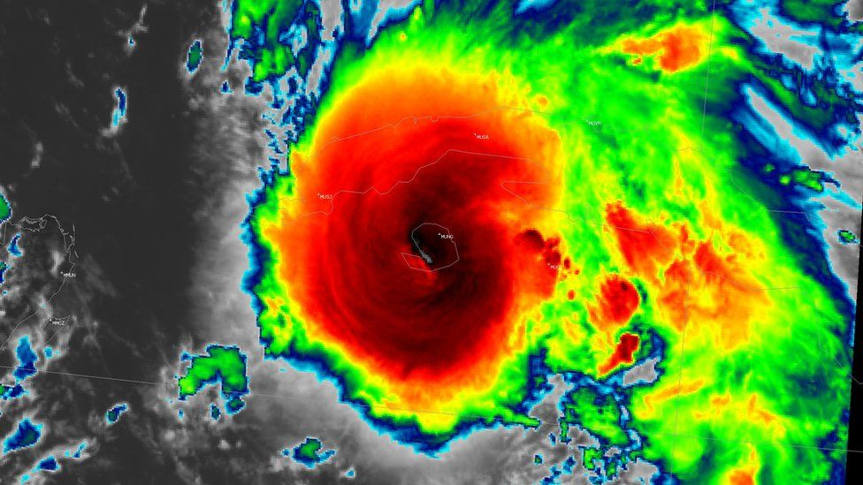
Đường đi dự kiến của "Ida" khi đổ bộ vào bờ biển tiểu bang Louisiana vào chiều tối mai. (Ảnh: clickorlando).
"24 giờ tiếp theo là rất, rất quan trọng", ông Edwards nói, kêu gọi người dân gấp rút sơ tán trước khi bão đổ bộ.
Giới chức New Orleans trước đó đã ra lệnh bắt buộc sơ tán với cư dân ở các khu vực trũng thấp bên ngoài hệ thống đê bao của thành phố.
Một chuyên gia dự báo của Dịch vụ Thời tiết Quốc gia Mỹ cho biết sức gió của Ida có thể giật tới 273 km/h.
"Cơn bão này mạnh hơn bão Laura của năm ngoái", ông này cho hay.
Trong khi đó, Collin Arnold, Giám đốc Cơ quan An ninh và Chuẩn bị Khẩn cấp của New Orleans nhấn mạnh 29/8 sẽ là một ngày hết sức quan trọng trong lịch sử thành phố vì "nó dạy mọi người cách sẵn sàng và kiên cường khi cùng nhau chống lại cơn bão".
Các bờ biển Louisiana, Alabama và Mississippi đồng loạt đưa ra cảnh báo về triều cường. Riêng Louisiana, người dân được cảnh báo triều cường do bão có thể lên tới 3,35m, với lượng mưa 381mm đi kèm lũ quét và gió cực mạnh.
Khu vực từ đông nam Louisiana đến vùng duyên hải Mississippi và Alabama dự kiến ghi nhận lượng mưa tới 40 cm, thậm chí lên tới 50 cm vào sáng 30/8 ở một số khu vực.


















Bình luận