(VTC News) - Bão số 10 suy yếu thành áp nhiệt đới trên khu vực Thượng Lào, miền Bắc và miền Trung nước ta vẫn mưa như trút khiến hơn 700 xã, phường nguy cơ lũ quét, sạt lở.
(VTC News) - Bão số 10 và mưa lũ làm 11 người chết, 13 người mất tích, 8 người đang mất liên lạc, 33 người bị thương, nhiều nhà cửa, cơ sở sản xuất kinh doanh bị thiệt hại nặng.
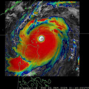
(VTC News) - Bão số 10 Bualoi đổ bộ Hà Tĩnh vào tối 28/9 và quần thảo suốt hơn 12 giờ, được đánh giá là cơn bão có phạm vi gió mạnh trên địa bàn lớn nhất từ trước đến nay.
(VTC News) - Theo nhận định của chuyên gia, bão số 10 Bualoi đã giảm cấp, sẽ suy yếu thành áp thấp nhiệt đới trong khoảng 2 giờ tới nhưng tác động của hoàn lưu bão còn rất mạnh.
(VTC News) - Bộ đội biên phòng cùng chính quyền Nghệ An khẩn trương giúp dân neo thuyền, chằng chống nhà cửa, di dời dân khỏi vùng nguy hiểm trước khi bão số 10 Bualoi đổ bộ.
(VTC News) - Sáng 28/9, bờ kè Cửa Lò (Nghệ An) và Thiên Cầm (Hà Tĩnh) bị tấn công dồn dập bởi những đợt sóng cao, biển động dữ dội trước giờ bão Bualoi đổ bộ.
(VTC News) - Sáng 28/9, đường phố Nghệ An vắng vẻ, hàng quán đồng loạt đóng cửa, nhiều tiểu thương thu dọn hàng hóa chuẩn bị ứng phó với cơn bão số 10 Bualoi sắp đổ bộ.
(VTC News) - Mặc dù chưa đổ bộ đất liền nhưng bão số 10 Bualoi đã gây ra trận lốc xoáy, làm tốc mái hơn 70 ngôi nhà và trường học tại Huế, cùng nhiều thiệt hại khác.
(VTC News) - Sáng 28/9, bão số 10 Bualoi duy trì cấp 12, giật cấp 15, cách Đà Nẵng 150km, cách Bắc Quảng Trị 360km, tiến nhanh vào đất liền miền Trung.
(VTC News) - Đại tướng Nguyễn Tân Cương cho biết, Bộ Quốc phòng huy động 240.580 cán bộ, chiến sĩ cùng hơn 4.000 phương tiện sẵn sàng ứng phó bão số 10.
(VTC News) - Bão Bualoi giật cấp 15 đi vào Biển Đông trở thành cơn bão số 10, khả năng di chuyển vào đất liền các tỉnh từ Thanh Hóa đến Quảng Trị trong đêm 28/9.
(VTC News) - Theo cơ quan khí tượng, bão Bualoi có cường độ mạnh, phạm vi ảnh hưởng rộng, có nguy cơ gây ra tác động tổng hợp từ nhiều loại hình thiên tai.
(VTC News) - Theo Thứ trưởng Bộ NN&MT, bão số 10 Bualoi di chuyển nhanh gấp đôi cơn bão bình thường, càng áp sát bờ càng mạnh, nguy cơ tác động trực tiếp khu vực Bắc Trung Bộ.
(VTC News) - Bão số 9 Ragasa đã giảm 4 cấp sau khi vào Biển Đông, dự báo sẽ đổ bộ đất liền nước ta trong chiều mai, Hà Nội cũng chịu ảnh hưởng đáng kể từ cơn bão này.
(VTC News) - Chuyên gia khí tượng cho biết, khi bão Ragasa đổ bộ, nhiều vùng trên đất liền nước ta sẽ nằm trong khu vực ảnh hưởng, với trọng tâm là mưa to và gió mạnh.
(VTC News) - Cơ quan khí tượng phát đi bản tin mới nhất về siêu bão Ragasa - cơn bão mạnh nhất trong lịch sử bão trên Biển Đông, đồng thời dự báo thời tiết cả nước 10 ngày tới.
(VTC News) - Siêu bão Ragasa được Cơ quan Khí tượng Nhật Bản phân loại là bão cực mạnh, mạnh hơn một chút so với Yagi năm 2024, dự báo tối nay đi vào Biển Đông.
(VTC News) - Cơ quan khí tượng cho biết, tương tác của không khí lạnh với bão trong những ngày tới sẽ khiến quỹ đạo cũng như cường độ của bão Ragasa thêm phức tạp.
(VTC News) - Các chuyên gia khí tượng thuỷ văn cùng nhận định, bão số 5 là cơn bão dị thường, quần thảo đất liền miền Trung suốt 12 tiếng gây thiệt hại nặng nề.
(VTC News) - Lực lượng chức năng tại Nghệ An, Hà Tĩnh kịp thời ứng cứu nhiều người dân gặp nạn do bão số 5, trong đó có các trường hợp mắc kẹt trong nhà tốc mái, sập đổ.
(VTC News) - Clip ghi cảnh nhiều cán bộ xã Nhôn Mai (Nghệ An) băng qua dòng suối đang chảy xiết, lần lượt đưa 120 người dân bản Phá Mựt đến nơi an toàn.
(VTC News) - Chiều tối nay, bão số 5 mạnh cấp 11, giật cấp 13 đổ bộ đất liền Nghệ An - Hà Tĩnh; dải đất từ Thanh Hoá đến Quảng Trị, đồng bằng Bắc Bộ tiếp tục mưa trắng trời.