
Dự báo Biển Đông sắp đón bão số 13, miền Trung mưa lớn
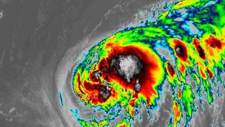
Áp thấp nhiệt đới ở Philippines sẽ mạnh lên thành bão, dự báo cơn bão này sẽ đi vào Biển Đông, trở thành cơn bão số 13, gây mưa lớn tại miền Trung.

Áp thấp nhiệt đới ở Philippines sẽ mạnh lên thành bão, dự báo cơn bão này sẽ đi vào Biển Đông, trở thành cơn bão số 13, gây mưa lớn tại miền Trung.

Sau khi nước lũ rút, hàng loạt trường học ở TP Đà Nẵng bị bủa vây bởi lớp bùn non dày đặc, thầy cô giáo cật lực dọn dẹp sớm đón học sinh trở lại trường.

Lũ lụt nghiêm trọng tại Huế khiến hàng nghìn ô tô, xe máy bị nhấn chìm trong biển nước, ngập bùn, gây thiệt hại lớn cho người dân.

Trong giờ phút hứng chịu cơn thịnh nộ của trận lũ lịch sử, câu chuyện tình làng nghĩa xóm lại được thắp lên với những chuyến ghe nghĩa tình chở cả trời yêu thương.

Khi đang chạy xe máy qua cầu Cống Kiến, nam thanh niên bị nước lũ cuốn thiệt mạng.

Tối 29/10, lũ trên sông Vu Gia lên nhanh, lực lượng cứu hộ vẫn cố gắng khắc phục để giải cứu người dân trong vùng "rốn lũ" Đà Nẵng.

Sáng 30/10, hình ảnh người đàn ông ở Đà Nẵng bất chấp mưa to, đứng trên nóc nhà giơ 2 tay khẩn cầu sự giúp đỡ xuất hiện trên mạng xã hội khiến nhiều người xót xa.

Dự báo trong 12h tới, lũ trên sông Trà Khúc (Quảng Ngãi) lên trên mức báo động 3 từ 1,0 -1,3 m, trong 12 - 24h tiếp theo, lũ sẽ xuống chậm nguy cơ ngập diện rộng.

Mưa lớn kéo dài khiến gần 67.000 hộ dân ở Đà Nẵng bị ngập, 10 xã bị cô lập hoàn toàn.

Phó Thủ tướng Trần Hồng Hà đã trực tiếp thăm hỏi, tặng quà động viên các bệnh nhân và đội ngũ bác sĩ, điều dưỡng, kỹ thuật viên và nhân viên trực cấp cứu trong vùng lũ.

Trước tình hình lũ trên sông vượt mức báo động 3, tỉnh Quảng Ngãi cấm xe qua cầu Trà Khúc 1.

Tính đến thời điểm hiện tại, trận mưa lũ lịch sử ở Huế làm 2 người chết, mất tích, hơn 35.000 ngôi nhà bị ngập.

TP Huế đang đối mặt với đợt mưa lũ lịch sử chưa từng ghi nhận trong lịch sử Việt Nam, với lượng mưa lên tới 1.085,8 mm chỉ trong 24 giờ.

Mưa lớn khiến Bệnh viện Trung ương Huế ngập nặng, nước tràn vào nhiều khoa, bệnh nhân phải di chuyển tầng cao để đảm bảo an toàn.

Mưa lớn kéo dài khiến nước lũ dâng cao, làm sạt lở và cuốn trôi đường dẫn cầu Leno ở xã Khe Tre, chia cắt hoàn toàn tuyến giao thông huyết mạch nối với xã Nam Đông.

Nước sông Hương và sông Bồ đang ở mức trên báo động 3, vượt đỉnh lũ năm 2020 khiến nhiều nơi ngập sâu trong nước, Công an cấp tập giúp dân "chạy lũ".

Lũ lên nhanh trên các sông khiến nhiều khu vực trên địa bàn TP Đà Nẵng, Huế ngập sâu, giao thông bị chia cắt.

Mưa lớn làm xảy ra vụ sạt lở nghiêm trọng tại Km12 cao tốc La Sơn - Tuý Loan làm một chiếc ô tô bị cuốn trôi 20 mét, rất may không có thương vong về người.

Mưa đặc biệt lớn, kéo dài nhất là khu vực thượng nguồn, các thuỷ điện lớn đồng loạt xả nước, nước sông lên gần báo động 3, nhiều nơi ở TP Huế ngập sâu.

Bão số 12 tan, mưa giảm nhưng triều cường do bão khiến khu dân cư ven biển Thuận An (TP Huế) vẫn đang sống chung với nước lũ.

Dự báo thời tiết 24/10, Hà Nội và các tỉnh, thành miền Bắc rét về sáng sớm, ban ngày trời lạnh; Hà Tĩnh đến Quảng Ngãi duy trì chuỗi ngày mưa lớn.

Bão số 12 Fengshen giật cấp 12, cách Đà Nẵng khoảng 450km về phía bắc, các tỉnh từ Hà Tĩnh tới Quảng Ngãi sẽ mưa lớn trên diện rộng từ đêm 22/10.

Mưa lớn kéo dài những ngày qua khiến nhiều tuyến đường vùng thấp trũng của TP Huế ngập lụt, cảnh báo sạt lở ở nhiều nơi.

Hàng trăm ô tô tại Thái Nguyên thành "cỗ máy chết lâm sàng" sau lũ khiến chủ xe đứng trước quyết định khó khăn: bỏ trăm triệu sửa chữa hay chấp nhận bán lỗ.

Sau bão lũ, hàng loạt quần áo bị ngâm bùn, ngả màu, chuyên gia mách mẹo tẩy rửa đơn giản, an toàn, giúp phục hồi quần áo hiệu quả

Sau khi nước lũ rút đi, nhiều trường học tại tỉnh Lạng Sơn rơi vào cảnh hoang tàn vì cơ sở vật chất bị phá hủy, đồ dùng phục vụ giảng dạy bị hư hỏng hoàn toàn.

Thủ tướng vừa quyết định cấp thêm 400 tỷ đồng từ nguồn dự phòng ngân sách Trung ương để hỗ trợ khẩn cấp 4 tỉnh miền Bắc khắc phục hậu quả trận lũ lụt lịch sử.

Hoàn lưu bão số 11 khiến nhiều xã Thư Lâm, Đa Phúc, Trung Giã (Hà Nội) ngập sâu, lực lượng CSGT mang áo phao, nhu yếu phẩm hỗ trợ, giúp dân dọn dẹp sau ngập.

Giữa nỗi xót xa, lo lắng cho người dân các tỉnh lũ lụt, lòng người ấm lên vì sức lan tỏa của câu chuyện nhường cơm sẻ áo, không quản vất vả, hiểm nguy giúp đồng bào.
Sau bão số 11, nước sông Hồng dâng cao, nhấn chìm hầu hết vườn đào Nhật Tân đang kỳ phát triển, đây là năm thứ hai liên tiếp làng cây cảnh nổi tiếng bị bão gây họa.