
Cứu sống người đàn ông trôi dạt trên biển suốt 24 giờ ở Đắk Lắk
Sau gần một ngày mất tích khi đi câu cá ngoài khơi, người đàn ông ở phường Tuy Hòa đã được ngư dân phát hiện, đưa vào bờ cấp cứu trong tình trạng nguy kịch.

Sau gần một ngày mất tích khi đi câu cá ngoài khơi, người đàn ông ở phường Tuy Hòa đã được ngư dân phát hiện, đưa vào bờ cấp cứu trong tình trạng nguy kịch.

Theo TS Bùi Ngọc Sơn, gần 90% thương mại toàn cầu vận chuyển bằng đường biển, Mỹ và Trung Quốc đang cạnh tranh quyết liệt 5 “yết hầu” hàng hải thế giới.

Cơn bão số 3 ở Tây Bắc Thái Bình Dương, tên quốc tế Nuri, hiện cách Philippines khoảng 1.500km về phía Đông, di chuyển chậm.

Các nhà khoa học xác định được sự hiện diện của hơn 1.700 loại virus phần lớn là những loài hoàn toàn mới, chưa từng được ghi nhận trong lịch sử y sinh.

Hội nghị SOM ASEAN-Trung Quốc nhấn mạnh quan trọng của DOC và đẩy mạnh đàm phán COC, khẳng định cam kết hòa bình, ổn định ở Biển Đông.

Quân và dân đặc khu Trường Sa (tỉnh Khánh Hòa) gửi trọn niềm tin vào những quyết sách chiến lược của Đại hội XIV đề ra nhằm xây dựng biển, đảo ngày càng giàu mạnh.

Hướng về Đại hội XIV của Đảng, quân và dân Trường Sa vững niềm tin, chung khí thế và quyết tâm chính trị cao, ngày đêm canh giữ chủ quyền biển, đảo thiêng liêng.

Thấy chiếc thuyền trôi tự do trên vùng biển Lâm Đồng lúc rạng sáng, một ngư dân tiếp cận kiểm tra và phát hiện trên thuyền có người đàn ông đã tử vong.

Ngay sau bão số 15, các mô hình dự báo cho thấy khả năng xuất hiện một cơn bão mới mang tên Wilma vào đầu tháng 12 gần Philippines, với nguy cơ đi vào Biển Đông.

Chuyên gia cảnh báo khả năng xuất hiện thêm cơn bão hoặc áp thấp nhiệt đới ngay sau bão số 15 Koto.

Bão Koto tăng cường độ và tiến về phía tây hướng tới khu vực Visayas, Philippines đe dọa gây lũ lụt và sạt lở đất trên diện rộng.

Bão Phượng Hoàng nhanh chóng mạnh lên ngoài khơi Philippines, với dự báo đổ bộ vào đảo Luzon trong vài ngày tới trước khi di chuyển vào khu vực Bắc Biển Đông.

Chuyên gia khí tượng cảnh báo bão Fung-wong đang mạnh lên ngoài khơi, khả năng đi vào Biển Đông đầu tuần tới và có thể trở thành bão số 14.

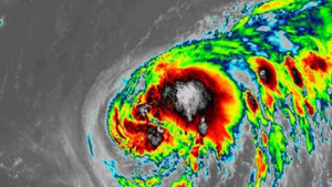
Bão số 13 Kalmaegi vào giữa Biển Đông sáng 5/11, tâm bão cách Song Tử Tây 560km với sức gió cấp 13, giật cấp 16, nguy cơ khu vực Huế - Khánh Hòa ngập sâu.

Ông Mai Văn Khiêm, Giám đốc TT Dự báo Khí tượng Thủy văn Quốc gia cho biết, sáng mai bão Kalmaegi sẽ vào Biển Đông, có thể mạnh cấp 14 khi vào vùng biển Đà Nẵng.

Chuyên gia khí tượng nhận định Kalmaegi là cơn bão rất mạnh, hoàn lưu rộng, đường đi và tác động tương tự với bão Damrey năm 2017 và Molave 2020.

Bão Kalmaegi tiếp tục di chuyển nhanh với cường độ rất mạnh và sắp vào Biển Đông, dự báo bão có thể mạnh cấp 13, giật cấp 16, kèm mưa lớn diện rộng.

Dự báo bão Kalmaegi liên tục tăng cấp khi vào Biển Đông, sức gió cực đạt 194km/h, ảnh hưởng trực tiếp đến khu vực từ Đà Nẵng đến Khánh Hòa trong những ngày tới.

Áp thấp nhiệt đới ở Philippines sẽ mạnh lên thành bão, dự báo cơn bão này sẽ đi vào Biển Đông, trở thành cơn bão số 13, gây mưa lớn tại miền Trung.

Hai máy bay Mỹ lần lượt rơi xuống Biển Đông chỉ trong vòng 30 phút khi đang làm nhiệm vụ trên tàu sân bay USS Nimitz.

Hạm đội Thái Bình Dương thông tin một trực thăng và một máy bay chiến đấu của lực lượng hải quân Mỹ bị rơi xuống Biển Đông.
Việt Nam hết sức quan ngại về những thông tin liên quan đến sự cố xảy ra gần đây trong lãnh hải đảo Thị Tứ, thuộc quần đảo Trường Sa của Việt Nam.

Các nhà nghiên cứu Trung Quốc thử nghiệm thiết bị lặn để xây dựng một trong những đài quan sát "hạt ma" neutrino lớn nhất thế giới ở Biển Đông

Philippines cáo buộc tàu Trung Quốc "cố tình" đâm vào tàu của nước này gần hòn đảo ở khu vực tranh chấp trên Biển Đông.

Biển Đông lại tiếp tục đón bão Matmo, cơn bão thứ hai trong vòng chưa đầy một tuần, đe dọa tạo thành "bão chồng bão" và làm trầm trọng thêm tình hình thiên tai.

Nghịch lý bất động sản ở Hà Đông, Hà Nội, ngôi nhà 30m² ngõ hẹp giá 6-7 tỷ đồng (200 triệu/m²) dù khu vực này thường xuyên ngập úng nghiêm trọng sau mưa lớn.

Ngày 26/9, bão nhiệt đới Bualoi đổ bộ vào Philippines gây ra mưa lớn khiến 4 người chết, 400.000 người phải sơ tán khẩn cấp.

Dự báo đêm nay 26/9, bão Bualoi sẽ đi vào Biển Đông, trở thành cơn bão số 10 của năm nay, đe dọa trực tiếp các tỉnh miền Trung.

Dự báo sau khi vào Biển Đông, bão Bualoi di chuyển hướng Tây Tây Bắc với tốc độ rất nhanh, khoảng 30km/h, nhanh gấp đôi so với các cơn bão bình thường.

Sáng 26/9, bão Bualoi đang quần thảo Philippines, dự báo sẽ di chuyển nhanh vào Biển Đông và mạnh lên, miền Trung đối mặt gió giật cấp 16.