Giải mã công nghệ 'đuổi mây'
Công nghệ điều khiển thời tiết đang ngày càng tiên tiến và đáng tin cậy hơn qua từng năm, được áp dụng để phục vụ đời sống, trong...
Công nghệ điều khiển thời tiết đang ngày càng tiên tiến và đáng tin cậy hơn qua từng năm, được áp dụng để phục vụ đời sống, trong...
Từ 1/7, thông tin cư trú của người dân được cập nhật trên VNeID theo dữ liệu sau sáp nhập.
Cục Cảnh sát quản lý hành chính về trật tự xã hội (C06) sẽ cập nhật cẩm nang hướng dẫn thủ tục hành chính trong triển khai chính...
Mua xe điện hay di chuyển bằng phương tiện giao thông công cộng đang là nỗi băn khoăn của nhiều người dân Hà Nội.
Khám phá nhật thực toàn phần dài nhất thế kỷ, hứa hẹn sẽ biến giữa trưa thành đêm đen, một trải nghiệm thiên văn chưa từng có.
Động cơ phản lực thế hệ 5 nặng 3.400 pound, giúp Su-57 đạt khả năng siêu hành trình, nâng cao sức mạnh cạnh tranh của Nga trên...
Tối 10/7, người yêu thiên văn trên toàn thế giới sẽ có dịp chiêm ngưỡng hiện tượng trăng tròn tháng 7 “Trăng Hươu Đực” ở vị trí...
Một nghiên cứu mới hé lộ khả năng vũ trụ sẽ không kéo dài vô hạn, mà có thể kết thúc trong khoảng 33,3 tỷ năm tới – sớm hơn các...
Hình ảnh nữ ca sĩ gắn bó với nhiều mẫu sedan hạng sang của Mercedes-Benz, từ E-Class cỡ trung đến S-Class đầu bảng, giá trị từ...
Trung Quốc thử nghiệm thành công gạch đất Mặt Trăng, mở ra bước tiến lớn trong kế hoạch xây dựng căn cứ ngoài Trái Đất.
Kính thiên văn không chỉ nhìn xa – chúng được ví như ‘cỗ máy thời gian’ nhìn về quá khứ vũ trụ sơ khai cách đây hàng tỷ năm.
Startup Thụy Sĩ Jua ra mắt mô hình AI EPT-2, được xem là hệ thống dự báo thời tiết chính xác nhất hiện nay, vượt mặt Microsoft và...
Lần đầu tiên trong lịch sử khoan khoa học đại dương, các mẫu nước ngọt được thu thập trực tiếp từ dưới đáy biển, mở ra tiềm năng...
Chỉ với một vài thao tác đơn giản, bạn có thể cải thiện đáng kể tốc độ xử lý và trải nghiệm giải trí trên chiếc Smart TV cũ của...
Tích hợp Giấy chứng nhận quyền sử dụng đất cho cơ quan Nhà nước là một trong những tính năng mới cập nhật trên VNeID.
YouTube Premium tại Việt Nam có giá từ 49.000 VNĐ/tháng và bạn còn có thể tiết kiệm hơn nữa mà vẫn có trải nghiệm xem video chất...
Chỉ có 4 nhà phát triển Trung Quốc lọt vào danh sách 100 ứng dụng AI hàng đầu thế giới thuộc các công ty tư nhân, tính theo doanh...
Hàng ngàn vệ tinh đang cháy rụi khi rơi xuống khí quyển, tạo ra kim loại độc hại có thể phá hủy tầng ozone và làm biến đổi môi...
Thần đồng 15 tuổi người Bỉ, vừa nhận bằng Tiến sĩ Vật lý lượng tử, đặt mục tiêu kéo dài tuổi thọ con người thông qua nghiên cứu y...
Nghị quyết 57 được Bộ Chính trị ban hành như một cột mốc quan trọng, mở ra một kỷ nguyên mới cho lĩnh vực nghiên cứu và phát...
Bộ Công an mở rộng triển khai xác thực giao dịch chuyển quyền sở hữu điện tử phục vụ sang tên xe tại một số địa phương thông qua...
NSND Xuân Bắc cho rằng, việc đăng ký tên thật, địa chỉ thật sẽ hạn chế tối đa tài khoản ảo, tránh tung tin đồn nhảm, miệt thị...
Với sự phát triển của khoa học - công nghệ, triển vọng khai thác tài nguyên trên các tiểu hành tinh không xa Trái Đất đang dần...
Từ những cánh tay máy tự học cho đến robot cảm xúc như con người, ngành robot không còn là viễn cảnh tương lai – mà đang từng...
Honda NAVi 110, xe tay ga miniMOTO giá rẻ tại Philippines, hoàn hảo cho việc di chuyển trong thành phố, mức giá chỉ từ 24 triệu...
C06 - Bộ Công an sẽ triển khai cấp tài khoản định danh trên VNeID cho các cơ quan, tổ chức, doanh nghiệp để thực hiện thủ tục...
Chỉ cần vài thao tác đơn giản trên ứng dụng VNeID, phụ huynh có thể đăng ký làm thẻ căn cước cho trẻ em dưới 14 tuổi mà không cần...
Giải pháp giúp thực hiện quy trình bán hàng, ký số và xuất hóa đơn điện tử chỉ với một chiếc điện thoại thông minh, không cần...
Từ ngày 1/7, tổ chức và doanh nghiệp sẽ phải thực hiện các thủ tục hành chính qua tài khoản định danh điện tử tổ chức, được quản...
Tài sản của Elon Musk có tiềm năng lên đến nghìn tỷ USD – số tài sản đủ để mua cả ngành ô tô toàn cầu và một hạm đội du thuyền,...
Samsung đối mặt nguy cơ bị Oura kiện vì Galaxy Ring, trong khi McLaren cùng Bowers & Wilkins gây chú ý với tai nghe phiên bản đặc...
Dù được đào tạo bài bản ở nước ngoài song khi về nước làm việc, những chuyên gia, kỹ sư ngành hàng không vũ trụ chỉ nhận mức...
Lần đầu tiên, các nhà khoa học từ MIT đã tìm thấy dấu vết hóa học của "Trái Đất nguyên thủy", cung cấp manh mối về lịch sử ban...
Với thiết kế mạnh mẽ, nội thất hiện đại và là phiên bản EV đầu tiên, HiLux 2026 được đánh giá là đối thủ đáng gờm của Ford Ranger.
Mọi ánh nhìn đổ dồn về thành phố Venice (Ý), nơi tỷ phú Jeff Bezos và Lauren Sánchez tổ chức lễ cưới kéo dài nhiều ngày với sự...
AI có thể mang lại sự thịnh vượng chưa từng có, nhưng cũng tiềm ẩn nguy cơ 'tắt lịm mọi thứ' – đó là cảnh báo mới nhất từ CEO...
Điện thoại sạc chậm bất thường có thể do cáp lỗi, pin chai, hoặc nhiệt độ quá cao, hiểu đúng nguyên nhân sẽ giúp bạn khôi phục...
Một khám phá từ bộ não nhỏ bé của loài ong đang hé lộ cách tạo ra trí tuệ nhân tạo thông minh hơn, gọn nhẹ hơn.
Nghiên cứu mới về bụi vũ trụ quanh sao hé lộ manh mối quan trọng trong hành trình tìm kiếm Trái Đất thứ hai.
Lịch chiêm tinh 260 ngày của người Maya cổ đại cho phép họ dự đoán chính xác các hiện tượng nhật thực trong hàng trăm năm.
HUST và Huawei ký kết thỏa thuận hợp tác, thúc đẩy chuyển đổi số và phát triển nhân tài ICT, mở rộng cơ hội cho sinh viên trong...
Theo Đại sứ Thụy Điển, Việt Nam và Thụy Điển có thể chia sẻ kinh nghiệm trong triển khai công cụ y tế số do hai bên có tương đồng...
Chuyên gia Tuấn Hà cho biết, thuật toán của Google hay Facebook sẽ tự động loại bỏ những đánh giá không trung thực ra khỏi hệ...
Kính viễn vọng Vera C. Rubin công bố hình ảnh vũ trụ đầu tiên với độ chi tiết chưa từng có, mở rộng thêm khả năng khám phá những...
Sparrow, Cardinal và Proteus là những robot đang từng bước thay thế nhân công trong các kho hàng của Amazon.
iOS 26 mang đến loạt shortcut mới mẻ, giúp người dùng iPhone tự động hóa thao tác và tận hưởng trải nghiệm tiện lợi hơn.
Nhiều công ty khởi nghiệp tại Đông Nam Á mở rộng hoạt động sang Mỹ, nơi được xem là trung tâm phát triển trí tuệ nhân tạo và công...
Nhà sản xuất xe điện lớn nhất thế giới đang đặt cược vào một công nghệ vốn chưa thể triển khai thành công tại hàng chục quốc gia...
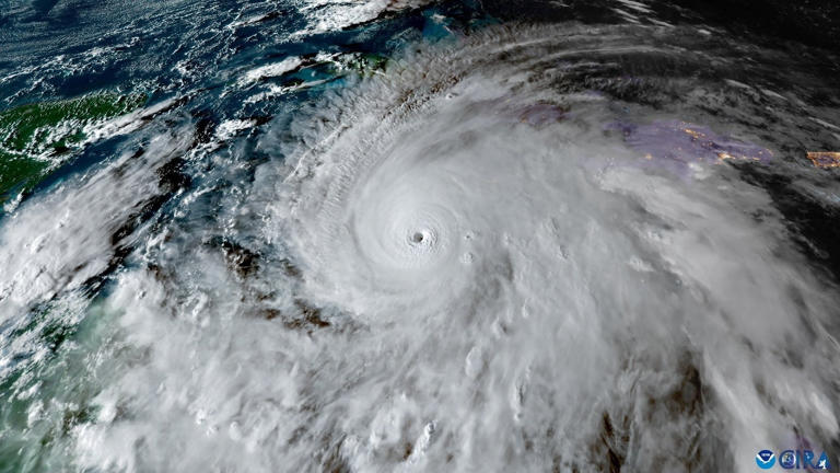
Bão Melissa với áp suất thấp kỷ lục đã trở thành cơn bão mạnh nhất toàn cầu năm 2025, làm dấy lên lo ngại về thời tiết cực đoan...
Land Cruiser hybrid có hệ truyền động 457 mã lực giá bán từ hơn 2,6 tỷ đồng tại UAE, được kỳ vọng có mặt tại Việt Nam trong tương...