Bão Melissa trở thành một trong những cơn bão mạnh nhất từng ghi nhận ở Đại Tây Dương, với sức gió và áp suất thấp kỷ lục khiến giới khoa học cảnh báo về xu hướng thời tiết cực đoan do biến đổi khí hậu.
Melissa đạt cấp độ 5 - cấp cao nhất trong thang bão Saffir-Simpson, với sức gió duy trì lên tới 305 km/h. Áp suất trung tâm của bão giảm xuống chỉ còn 882 hPa, khiến nó trở thành một trong những cơn bão có áp suất thấp nhất từng ghi nhận ở Đại Tây Dương.

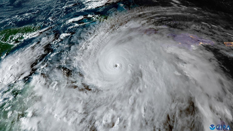
Bão Melissa đạt cấp 5 khi tiến gần bờ biển Jamaica ngày 28/10. (Nguồn: NOAA)
Sức gió của bão Melissa vượt qua cả những cơn bão mạnh nhất ở Thái Bình Dương từ đầu năm 2025 đến nay, như Ragasa (260 km/h) hay Wipha (120 km/h), khiến nó trở thành cơn bão mạnh nhất toàn cầu trong năm 2025.
Melissa tăng cường sức mạnh cực nhanh chỉ trong vòng 24 giờ, một hiện tượng ngày càng phổ biến trong những năm gần đây. Các nhà khí tượng học gọi đây là “rapid intensification” - sự tăng cường nhanh chóng và cảnh báo rằng hiện tượng này đang xảy ra thường xuyên hơn do nhiệt độ nước biển tăng.
Theo các chuyên gia, nhiệt độ bề mặt biển cao bất thường ở khu vực hình thành bão Melissa là yếu tố chính khiến nó mạnh đến vậy. Biển ấm cung cấp năng lượng cho bão, và khi nhiệt độ toàn cầu tăng, các cơn bão có xu hướng trở nên mạnh hơn, nguy hiểm hơn.
Dù Melissa không đổ bộ trực tiếp vào đất liền, nhưng nó gây ra sóng lớn, gió mạnh và mưa lớn tại nhiều khu vực ven biển. Các nhà chức trách đã phải sơ tán hàng nghìn người và ban hành cảnh báo lũ lụt tại nhiều bang ở Mỹ và vùng Caribbean.
Melissa đang được theo dõi chặt chẽ bởi các nhà nghiên cứu khí hậu và thời tiết, vì nó cung cấp dữ liệu quan trọng về xu hướng bão trong tương lai. Nhiều chuyên gia cho rằng đây là dấu hiệu rõ ràng cho thấy cần hành động khẩn cấp để giảm phát thải khí nhà kính và thích ứng với khí hậu cực đoan.

















