
Sinlaku đạt cấp siêu bão, là một trong ba cơn bão mạnh nhất tháng 4 trong 49 năm 0
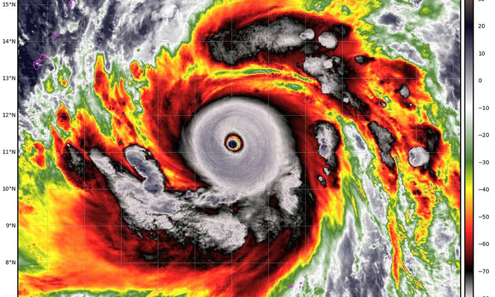
Theo Trung tâm Dự báo khí tượng thuỷ văn quốc gia, bão Sinlaku đã đạt cấp siêu bão - là một trong ba cơn bão mạnh nhất trong tháng 4 kể từ năm 1977.

Theo Trung tâm Dự báo khí tượng thuỷ văn quốc gia, bão Sinlaku đã đạt cấp siêu bão - là một trong ba cơn bão mạnh nhất trong tháng 4 kể từ năm 1977.

Cơ quan khí tượng nhận định, bão Sinlaku khả năng mạnh thành siêu bão đầu tiên hoạt động trên khu vực Tây Bắc Thái Bình Dương trong mùa bão lũ năm nay.