
Tổng thống Trump nổi đóa khi bị cựu Ngoại trưởng Mỹ tố vô kỷ luật, ép buộc cấp dưới
Tổng thống Trump dùng lời lẽ nặng nề chỉ trích cựu Ngoại trưởng Mỹ Rex Tillerson sau khi ông này liệt kê hàng loạt những điều không mấy tốt đẹp về nhà lãnh đạo Mỹ.

Tổng thống Trump dùng lời lẽ nặng nề chỉ trích cựu Ngoại trưởng Mỹ Rex Tillerson sau khi ông này liệt kê hàng loạt những điều không mấy tốt đẹp về nhà lãnh đạo Mỹ.

Những vụ việc chó tấn công chủ có liên quan đến giống Pitbull gây chấn động trên khắp thế giới khiến nhiều người đặt câu hỏi tại sao loài chó vốn được coi là loài vật trung thành lại có thể quay ra tấn công chính người nuôi chúng.

Thủ tướng Đức Angela Merkel cho biết bà sẽ "không nhắm đến bất kỳ vị trí chính trị nào" sau khi kết thúc nhiệm kỳ hiện tại vào năm 2021.

Ông Barack Obama nhấn mạnh cuộc bầu cử giữa nhiệm kỳ sẽ quyết định hình ảnh của đất nước, đồng thời gay gắt chỉ trích Tổng thống Donald Trump cùng các chính trị gia Đảng Cộng hòa.

Tổng thống Mỹ Donald Trump gọi vụ thảm sát ngày 27/10 vào giáo đường Do Thái Tree of Life tại Pittsburgh, bang Pennsylvania, Mỹ là "vụ tấn công ác quỷ bài Do Thái".

Biến thể mới của RX bổ sung hàng ghế thứ ba với chiều dài tổng thể tăng thêm 110 mm, động cơ 3.5 V6 công suất 290 mã lực.

Tổng thống Mỹ Donald Trump, ngày 28/10, nói Nga bày tỏ mong muốn nhận được trợ giúp kinh tế từ Mỹ, ngoài ra ông ca ngợi hội nghị thượng đỉnh với Tổng thống Nga Vladimir Putin.

Gab, nền tảng mạng xã hội được tay súng tấn công vào giáo đường Do Thái Pittsburgh sử dụng đã buộc phải ra tuyên bố vì những phát ngôn bài Do Thái của kẻ tấn công.

Mẫu tên lửa PL-XX có thể nhắm đến mục tiêu ở tầm xa và có những hỗ trợ khiến nó trở thành một nguy cơ đối với không quân Mỹ.

Trực thăng thuộc về chủ tịch câu lạc bộ bóng đá Leicester City bốc cháy sau khi rơi xuống bãi đỗ xe gần sân vận động King Power tại Leicester, khoảng 1 giờ sau trận đấu tối 27/10.

Trung Quốc và Hiệp hội các quốc gia Đông Nam Á (ASEAN) tổ chức tập trận trên biển trong tuần tới, được cho là nhằm giảm căng thẳng trong khu vực.

Các lãnh đạo Nga, Đức, Pháp, Thổ Nhĩ Kỳ nhấn mạnh tầm quan trọng của ngừng bắn kéo dài ở Syria, cho rằng một ủy ban để tạo ra hiến pháp mới nên được tập hợp cuối năm 2018.

Một trực thăng thuộc về Vichai Srivaddhanaprabha, chủ sở hữu tỷ phú của câu lạc bộ bóng đá Leicester City, đã rơi ngoài sân vận động King Power và bốc cháy, RT cập nhật ngày 27/10.

Nghi phạm gửi bom thư tới hàng loạt chính khách Mỹ được xác định là Cesar Sayoc, 56 tuổi, sống tại khu phức hợp căn hộ cao cấp ở thị trấn ven biển Aventura, Florida, Mỹ.

Là 1 trong 33 dự án được lựa chọn trong số 106 đề xuất từ rất nhiều quốc gia trên thế giới, dự án tu sửa mái vòm và bảo tồn cổng thành phía nam Thành nhà Hồ (Thanh Hóa) nhận khoản tài trợ trị giá 92.500 USD thuộc Quỹ Bảo tồn văn hóa của Đại sứ Mỹ.

Tổng thống Mỹ Donald Trump đe doạ sẽ điều 1.000 binh sỹ đến biên giới Mỹ - Mexico nhằm ngăn chặn các dòng người di cư có thể vào Mỹ.

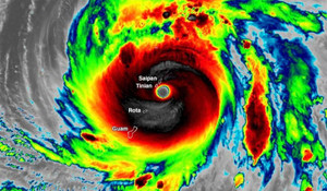
Siêu bão Yutu đã đổ bộ vào lãnh thổ nước Mỹ với sức tàn phá mạnh mẽ, Yutu trở thành cơn bão mạnh nhất tấn công nước này kể từ năm 1950.

Mỹ tuyên bố sẽ xem xét trừng phạt những cá nhân chịu trách nhiệm về cái chết của nhà báo Washington Post bằng cách thu hồi thị thực vào Mỹ và cân nhắc áp dụng Đạo luật Magnitsky.

Tổng thống Moon Jae-in lên án hành vi uống rượu lái xe, cho rằng đây có thể coi là hành vi sát nhân và kêu gọi đã đến lúc Hàn Quốc phải chấm dứt văn hóa coi lái xe sau khi uống rượu là một sai lầm.

Nhà báo Nhật Bản Jumpei Yasuda chia sẻ niềm vui sắp được về quê nhà sau hơn 3 năm bị giữ làm con tin ở Syria, Reuters đưa tin từ Thổ Nhĩ Kỳ.

Lần đầu tiên sau hơn 3 tuần xảy ra sự việc, Tổng thống Mỹ Donald Trump nói Thái tử Ả Rập Xê Út Mohammed bin Salman có thể liên quan đến vụ giết hại nhà báo đối lập Jamal Khashoggi.

Với các thông số kỹ thuật áp đảo, AG600 của Trung Quốc đã vượt qua các mẫu thủy phi cơ hiện nay của Nga và Nhật Bản trở thành thủy phi cơ lớn nhất thế giới với những tính năng có thể phục vụ cho cả mục đích dân sự và quân sự.

Siêu bão Yutu độ bộ quần đảo Mariana phía tây Thái Bình Dương với tốc độ gió 286 km/h, khiến nó trở thành cơn bão mạnh nhất tấn công nước Mỹ từ năm 1950.

Washington lên án việc gửi hàng loạt bưu kiện có chứa thiết bị nổ tới trụ sở CNN và các quan chức, chính khách nổi tiếng của Mỹ là hành vi khủng bố.

Thái tử Ả Rập Xê Út Mohammed bin Salman sẽ phát biểu tại một hội thảo đầu tư ngày 24/10 (giờ địa phương) ở Riyadh, một quan chức cấp cao cho biết.

Các nhà điều tra Pháp hé lộ thêm những chi tiết mới liên quan tới sự mất tích bí ẩn chiếc máy bay của Malaysia Airlines hơn 4 năm trước.

Trong những năm gần đây, tranh luận về chính sách Trung Quốc ở Mỹ bắt đầu phản ánh thực tế hơn khi nhận ra tham vọng của Trung Quốc trong việc thay thế Mỹ trở thành siêu cường dẫn đầu toàn cầu.

Theo RT, Mỹ sẽ trừng phạt những người chịu trách nhiệm trong vụ nhà báo Jamal Khashoggi bị sát hại bằng cách thu hồi thi thực (visa) và có thể áp đặt Đạo luật Magnitsky.

Washington vẫn quyết rút khỏi hiệp ước kiểm soát vũ khí hạt nhân ký kết với Nga bất chấp sự phản đối của Matxcơva và một số quốc gia châu Âu, cố vấn an ninh quốc gia Mỹ John Bolton nói trong cuộc họp với Tổng thống Putin.

Trong bài phát biểu ngày 23/10, Tổng thống Thổ Nhĩ Kỳ tuyên bố vụ sát hại nhà báo Ả Rập Xê Út Jamal Khashoggi gây chấn động được các quan chức Ả Rập Xê Út lên kế hoạch từ trước.