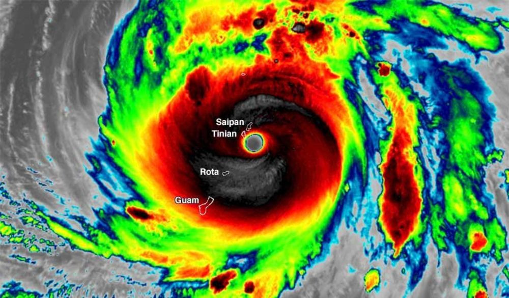
Mắt bão sẽ trực tiếp đi qua đảo Tinian, trong khi phần rìa ngoài đi qua Saipan. Với tốc độ gió ở tâm bão lên tới 286 km/h Yutu sẽ trở thành cơn bão mạnh nhất kể từ năm 1950 tấn công nước Mỹ.

Hình ảnh vệ tinh hồng ngoại của siêu bão Yutu chụp hôm 24/10. (Ảnh: NOAA/RAMMB)
Ước tính khoảng 15 cm lượng mưa sẽ dội xuống khu vực, nhiều nơi lượng mưa lên đến 20 cm, chuyên gia khí tượng Jason Nicholls cho biết.
Cơn bão có nguy cơ gây thiệt hại lớn. Quần đảo Mariana, nơi có khoảng 50.000 người sinh sống chưa bị cơn bão cấp 5 nào tấn công kể từ năm 1950.
Theo Bloomberg, tính đến nay có 7 siêu bão đã hoạt động ở phía Tây Thái Bình Dương trong năm 2018. Yutu có thể là cơn bão mạnh nhất, bên cạnh siêu bão Mangkhut đã khiến nhiều người thiệt mạng tại Philippines trước khi tấn công Hong Kong hồi tháng 9.
Hướng di chuyển của Yutu tiếp theo vẫn khó lường. Theo dự đoán, bão có thể hướng đến Đài Loan hoặc rẽ sang hướng khác, suy yếu khi gặp các hiện tượng thời tiết khác cũng là một khả năng.















Bình luận