
Chiến dịch Quang Trung: Ngày 22/12 rất khác của các ‘thợ xây’ mặc áo lính
Kỷ niệm 81 năm Ngày thành lập Quân đội nhân dân Việt Nam, của các chiến sỹ trong Chiến dịch Quang Trung đánh dấu bằng một cách rất khác: Dựng nhà cho dân vùng lũ.

Kỷ niệm 81 năm Ngày thành lập Quân đội nhân dân Việt Nam, của các chiến sỹ trong Chiến dịch Quang Trung đánh dấu bằng một cách rất khác: Dựng nhà cho dân vùng lũ.

Hàng trăm cán bộ, chiến sỹ kiên trì dãi nắng dầm mưa, chạy đua với thời gian để dựng lại mái ấm cho người dân rốn lũ Gia Lai.

Thủ tướng Phạm Minh Chính nhấn mạnh tinh thần tập trung các giải pháp, nhanh chóng xây dựng lại nhà cho 12 hộ gia đình tại xã Khe Sanh.

Bộ Xây dựng đang nghiên cứu bổ sung thêm quy hoạch 2 sân bay khu vực miền Trung nhằm tăng cường công tác hỗ trợ khẩn nguy, cứu nạn khu vực miền Trung, Tây Nguyên.

Độc giả Báo Điện tử VTC News ủng hộ hơn 55 triệu đồng cho các hoàn cảnh khó khăn từ ngày 15/11 đến 21/11.

Thiệt hại nặng nề do thiên tai kép (cơn bão số 13 và cơn lũ lịch sử) khiến thủ phủ mai vàng miền Trung - An Nhơn (tỉnh Gia Lai) mất Tết, người trồng trắng tay.

Trong căn nhà trống hoác sau lũ, anh Nguyễn Xuân Vinh cúi gằm mặt, day dứt không ngẩng đầu lên vì đã không thể cứu 3 người thân trong đêm nước dữ.

Giữa gian nhà hiu quạnh, người phụ nữ rạp người xuống, nấc lên thành tiếng, hai đứa trẻ vô tư cười đùa, lâu lâu lại hỏi - “ba ơi ba, khi nào ba về với tụi con?”.

Bão số 15 Koto chếch xuống phía nam, sau đó đổi lên hướng bắc, tốc độ chỉ 3-5 km/h, dự kiến khoảng ngày 1-2/12 ảnh hưởng đến Gia Lai.

Khi lũ dữ tràn qua các khu dân cư tỉnh Đắk Lắk, chia cắt hàng trăm hộ dân, những chiếc thúng chai mộc mạc của ngư dân làng biển đã cứu nhiều người.

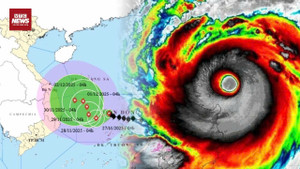
Cơ quan khí tượng nhận định bão số 15 đã đạt cường độ mạnh nhất khi hoạt động trên Biển Đông, tốc độ bão chậm lại và liên tục đổi hướng, diễn biến trở nên khó lường.

Ngày 27/11, bão số 15 Koto cách đảo Song Tử Tây khoảng 190km về phía Đông, sức gió mạnh nhất vùng gần tâm bão cấp 12 (118-133km/h), giật cấp 15.

Nhà báo, phóng viên, biên tập viên và người lao động Báo Điện tử VTC News dành ít nhất 1 ngày lương ủng hộ đồng bào miền Trung, Tây nguyên bị thiệt hại do mưa lũ.

Chuyên gia cảnh báo, bão số 15 Koto di chuyển chậm bất thường, từ chiều 28/11 chỉ đi với tốc độ khoảng 5-10 km/h, dự kiến ảnh hưởng kéo dài 5-7 ngày.

Bão số 15 Koto có khả năng suy yếu khi và đổi hướng, hu vực đất liền Nam Trung Bộ ít có khả năng chịu ảnh hưởng trực tiếp của bão.

Ôm chặt con trai 2 tháng tuổi trong lòng, nép bên cạnh là con gái 9 tuổi, không thức ăn, nước uống, ba mẹ con cố thủ hơn 15 tiếng trên nóc nhà giữa lũ dữ.

Tại nhiều điểm tiếp nhận ở Hà Nội, người dân tất bật mang quần áo và nhu yếu phẩm gửi vào miền Trung, chung tay hỗ trợ bà con vượt qua khó khăn sau mưa lũ.

Phó Thủ tướng Trần Hồng Hà cho biết, bão số 15 đã hình thành và diễn biến còn rất khó lường về hướng đi và cần được tiếp tục theo dõi chặt chẽ.

Theo Trung tâm Dự báo khí tượng thuỷ văn quốc gia, có 3 kịch bản về diễn biến của bão số 15, trong đó kịch bản xấu nhất là bão đi vào khu vực Gia Lai - Khánh Hòa.

Chính phủ yêu cầu trả gộp 3 tháng lương hưu và trợ cấp BHXH với 4 tỉnh Đắk Lắk, Gia Lai, Khánh Hòa, Lâm Đồng để người dân khắc phục hậu quả mưa lũ và đón Tết.

Đường sắt Bắc - Nam đoạn qua khu vực Nam Trung Bộ thông tuyến vào lúc 20h30 tối 25/11 sau nhiều ngày bị gián đoạn do mưa lũ.

Lũ rút trên địa bàn xã Hoà Xuân (tỉnh Đắk Lắk), điểm cuối cùng bị cơn lũ tàn phá hiện ra hoang tàn với nỗi đau xót hằn trên gương mặt người dân.

Dưới tấm bạt dựng tạm bên cạnh cây xăng còn sũng nước sau trận lũ lịch sử ở xã Hòa Thịnh (Đắk Lắk), một bếp ăn dã chiến đỏ lửa suốt những ngày qua.

Thủ tướng kêu gọi cộng đồng doanh nghiệp, doanh nhân, người dân cả nước chung sức đồng lòng, ủng hộ, chia sẻ với Nhân dân miền Trung ruột thịt trong lúc khó khăn.

Tính đến ngày 24/11, toàn hệ thống MTTQ Việt Nam các cấp đã vận động được trên 3.200 tỷ đồng hỗ trợ đồng bào khắc phục hậu quả do các cơn bão, lũ gây ra.

Giữa dòng nước xiết của đợt lũ vừa qua, anh Trần Công Thành một mình chèo ghe, cứu hơn 40 người tới nơi an toàn.

Trong Phiên họp lần 6 Ủy ban hỗn hợp Việt Nam - EU, Trưởng đoàn EU cho biết khối hỗ trợ 850.000 euro cho Việt Nam khắc phục hậu quả bão lũ.

Verbena, cơn áp thấp thứ 22 trong mùa bão năm nay tại Philippines, đang di chuyển về phía Tây và dự kiến sẽ đi vào Biển Đông vào sáng 26/11.

Tập đoàn Vingroup đề xuất tiếp tục hỗ trợ khẩn cấp thêm 500 tỷ đồng cho công tác cứu trợ và khắc phục hậu quả thiên tai.

Gần 100 y bác sĩ từ các bệnh viện TP.HCM được chia thành 5 tổ, khẩn trương chuẩn bị lên đường chi viện cho ngành y tế Đắk Lắk vào sáng 25/11.