
Dự báo thời tiết 24/9: Siêu bão Ragasa giảm cấp nhanh, miền Bắc mưa như trút
(VTC News) - Dự báo thời tiết ngày 24/9, siêu bão Ragasa giảm cấp nhanh và hướng về đất liền nước ta, gây mưa lớn diện rộng ở miền Bắc, Thanh Hoá - Nghệ An.

(VTC News) - Dự báo thời tiết ngày 24/9, siêu bão Ragasa giảm cấp nhanh và hướng về đất liền nước ta, gây mưa lớn diện rộng ở miền Bắc, Thanh Hoá - Nghệ An.

(VTC News) - Thủ tướng yêu cầu dự báo, cung cấp thông tin chính xác nhất về diễn biến, tác động của siêu bão Ragasa, cảnh báo kịch bản xấu nhất có thể xảy ra để chủ động ứng phó.

(VTC News) - Ngày 25/9, siêu bão số 9 Ragasa sẽ đi vào đất liền khu vực Quảng Ninh – Hải Phòng với cường độ mạnh cấp 9-10, giật cấp 12 gây mưa lớn dữ dội.

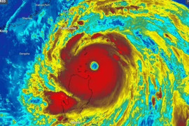
(VTC News) - Cơ quan khí tượng phát đi bản tin mới nhất dự báo cường độ, quỹ đạo siêu bão Ragasa sau gần một ngày "quần thảo" Biển Đông và nhận định thời điểm bão đổ bộ nước ta.
(VTC News) - Trước siêu bão Ragasa, Hải Phòng và Hưng Yên đồng loạt triển khai phương án phòng chống, bảo vệ đê điều, kêu gọi tàu thuyền, sơ tán dân, bảo vệ sản xuất.

(VTC News) - Phó Thủ tướng Trần Hồng Hà nhấn mạnh, bão Ragasa gió mạnh, di chuyển nhanh và diễn biến phức tạp, dù bão khả năng suy yếu nhưng tuyệt đối không được chủ quan.

(VTC News) - Hàng nghìn người tìm nơi trú ẩn ở Phlippines và Trung Quốc khi bão Ragasa đổ bộ, gây mưa lớn và nguy cơ sạt lở đất.

(VTC News) - Bão số 9 Ragasa sẽ trực tiếp ảnh hưởng đến tỉnh Quảng Ninh từ ngày 25/9, Ban Chỉ huy Phòng thủ Dân sự tỉnh đã triển khai hàng loạt biện pháp khẩn trương ứng phó.

(VTC News) - Siêu bão Ragasa, từ đêm 24/9 đến hết đêm 26/9, ở khu vực Bắc Bộ, Thanh Hóa và Nghệ An gây mưa to, cục bộ có nơi trên 400mm, cảnh báo nguy cơ lũ quét, sạt lở đất.

(VTC News) - Dự báo từ đêm 24/9 đến ngày 26/9, bão Ragasa sẽ đổ bộ vào Quảng Ninh - Thanh Hóa, mang theo gió giật cấp 12, mưa lớn 100-400mm, nguy cơ lũ quét, sạt lở đất.

(VTC News) - Siêu bão số 9 Ragasa đang giảm cường độ khi tiến về đất liền, nhưng mối đe dọa mưa lũ và sạt lở vẫn luôn rình rập.

(VTC News) - Hoàn lưu siêu bão Ragasa sẽ ảnh hưởng đến thời tiết TP.HCM và các tỉnh thành Nam bộ, cảnh báo mưa lớn, giông sét nhiều nơi.

(VTC News) - Siêu bão Ragasa đã càn quét miền Bắc Philippines khiến hàng chục nghìn người phải sơ tán khẩn cấp.

(VTC News) - Cơ quan khí tượng nhận định siêu bão Ragasa suy yếu nhanh từ sáng 24/9, còn cấp 11-12 khi vào vịnh Bắc Bộ, trưa đến chiều 25/9, tâm bão đi vào đất liền nước ta.

(VTC News) - Khoảng ngày 27/9, Biển Đông có thể đón bão số 10, nhiều khả năng cơn bão này sẽ hướng vào khu vực Trung Bộ.

(VTC News) - Trước những cảnh báo nghiêm trọng về sức tàn phá của siêu bão Ragasa, các lực lượng chức năng đã được huy động ở mức cao nhất để chuẩn bị ứng phó.

(VTC News) - Tại cuộc họp ứng phó với bão Ragasa, các chuyên gia đánh giá nhiều khả năng siêu bão Ragasa sẽ giảm cấp mạnh trước khi vào Vịnh Bắc Bộ.

(VTC News) - Siêu bão Ragasa đang có dấu hiệu suy yếu, khi đổ bộ đất liền sẽ gây mưa lớn tại miền Bắc, tâm mưa ở Thái Nguyên, Nam Tuyên Quang, Lào Cai, Phú Thọ, đồng bằng Bắc Bộ.

(VTC News) - Theo diễn biến phức tạp của cơn bão Ragasa, Vietnam Airlines sẽ điều chỉnh kế hoạch khai thác một số chuyến bay nhằm bảo đảm an toàn.

(VTC News) - Siêu bão Ragasa dự kiến sẽ gây ra tình trạng tạm dừng các chuyến bay dài nhất từ trước đến nay tại sân bay quốc tế đông đúc của Hong Kong, Trung Quốc.

(VTC News) - Sáng sớm 25/9, bão số 9 Ragasa ảnh hưởng trực tiếp các khu vực đất liền từ Quảng Ninh tới Nghệ An, gây đợt mưa lớn đến 400mm cho khu vực Bắc Bộ và Bắc Trung Bộ.

(VTC News) - Trung Quốc sơ tán hơn 400.000 người, trong khi Hong Kong áp dụng các biện pháp khẩn cấp để ứng phó với siêu bão Ragasa cũng như đưa ra cảnh báo khi bão đổ bộ.

(VTC News) - Tối nay 22/9, siêu bão Ragasa đã đi vào vùng biển phía Đông Bắc của khu vực Bắc Biển Đông, trở thành cơn bão số 9 trong năm 2025.
(VTC News) - Cơn bão Ragasa mạnh nhất thế giới trong năm nay đang đi qua miền bắc Philippines với sức gió mạnh và mưa như trút nước, khiến hàng nghìn người phải sơ tán.

(VTC News) - Đêm nay siêu bão Ragasa sẽ đi vào Biển Đông, dự báo ngày 25/9 đổ bộ Quảng Ninh - Ninh Bình, cơ quan khí tượng đưa ra nhận định về cường độ bão khi trên khu vực này.

(VTC News) - Philippines đối diện cùng lúc 2 thử thách, biểu tình chống tham nhũng quy mô lớn và thiên tai khốc liệt, khi siêu bão Ragasa áp sát, nguy cơ lũ quét và sạt lở đất.

(VTC News) - Tỉnh ủy và UBND tỉnh Quảng Ninh có văn bản chỉ đạo công tác ứng phó siêu bão Ragasa, yêu cầu các công việc phải hoàn thành trước ngày 25/9.

(VTC News) - 'Quái vật khí tượng' mang tên Ragasa đang tiến vào Biển Đông, các tỉnh từ Thanh Hóa đến Huế sẽ có gió rất mạnh kèm mưa lớn.

(VTC News) - Dự báo sau khi đi vào vịnh Bắc Bộ cường độ bão Ragasa có khả năng suy yếu, do khối không khí khô từ phía bắc đang dịch chuyển xuống.

(VTC News) - Theo chuyên gia, siêu bão Ragasa đêm nay sẽ đi vào Biển Đông, đây là một trong những cơn bão mạnh nhất trên Biển Đông.