
Cảnh tan hoang sau khi siêu bão Helene quần thảo nước Mỹ
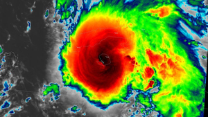
Siêu bão Helene cấp 4 với sức gió 225 km/h quét qua miền Đông Nam nước Mỹ, khiến ít nhất 42 người chết và hàng triệu người sống trong cảnh mất điện.

Siêu bão Helene cấp 4 với sức gió 225 km/h quét qua miền Đông Nam nước Mỹ, khiến ít nhất 42 người chết và hàng triệu người sống trong cảnh mất điện.

Các quan chức thời tiết Mỹ cảnh báo Ida - cơn bão dự kiến đổ bộ vào tối 29/8 sẽ gây ra mối đe dọa đáng kể khi nó đổ bộ dọc bờ biển bang Louisiana và Mississippi.