
Siêu bão sắp đổ bộ, Philippines sơ tán gần 20.000 dân
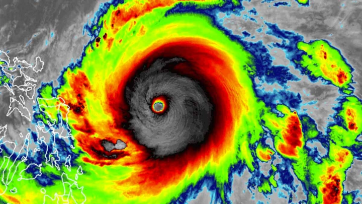
Hơn 19.000 người dân tỉnh Catanduanes sơ tán đến nơi trú ẩn tạm thời để tránh siêu bão cách Catanduanes 290 km về phía Đông hôm 18/4.

Hơn 19.000 người dân tỉnh Catanduanes sơ tán đến nơi trú ẩn tạm thời để tránh siêu bão cách Catanduanes 290 km về phía Đông hôm 18/4.

Xe thiết giáp tham gia chiến dịch truy quét phiến quân thân IS ở thành phố Marawi được gia cố bằng các vật liệu không ai ngờ đến như gỗ hay bìa các tông.

(VTC News)-Hy vọng cao bao nhiêu, hàng trăm khán giả Việt Nam có mặt tại Bangkok lại thất vọng bấy nhiêu về màn trình diễn của tuyển Việt Nam trước Philippines.