
Công an Hà Nội khuyến cáo người dân đi lại ra sao khi bão Yagi đổ bộ?
(VTC News) - Công an Hà Nội phát đi khuyến cáo, do ảnh hưởng của bão Yagi, trong quá trình tham gia giao thông, người dân cần chú ý để đảm bảo an toàn.

(VTC News) - Công an Hà Nội phát đi khuyến cáo, do ảnh hưởng của bão Yagi, trong quá trình tham gia giao thông, người dân cần chú ý để đảm bảo an toàn.

(VTC News) - Trận mưa to kèm gió mạnh khiến một cây cổ thụ trên phố Hàng Cá bật gốc, đè trúng bức tường của ngôi nhà khiến 3 người bị thương.

(VTC News) - Để ứng phó với siêu bão Yagi (bão số 3), nhiều tỉnh thành phía Bắc chủ động cho học sinh nghỉ học để phòng tránh.

(VTC News) - Thường trực Thành uỷ Hà Nội yêu cầu kiên quyết sơ tán các hộ dân ở chung cư xuống cấp, chung cư cao tầng, nhà có nguy cơ sụp đổ đến nơi an toàn trước khi bão đổ bộ.

(VTC News) - Gần 15h ngày 6/9, nhiều khu vực Hà Nội trời tối sầm, mưa dông, cơ quan khí tượng cảnh báo tố, lốc, sét, mưa đá do ảnh hưởng bão số 3 (Yagi).

(VTC News) - Bộ Công Thương yêu cầu Sở Công Thương các địa phương có bão Yagi đổ bộ phải bảo đảm nguồn cung hàng hóa thiết yếu.

(VTC News) - Trưa nay, người dân các khu chung cư cũ ở Hải Phòng bắt đầu chuẩn bị đồ đạc để di dời tới nơi an toàn trước khi bão số 3 (Yagi) đổ bộ đất liền.

(VTC News) - Siêu bão Yagi (bão số 3) sắp đổ bộ vào đất liền và gây mưa lớn, dự kiến sẽ ảnh hưởng nghiêm trọng đến đời sống người dân, trong đó có hoạt động giao thông.

(VTC News) - Công ty CP Vận tải Đường sắt Hà Nội vừa ra thông báo dừng khai thác 10 đoàn tàu chạy trong các ngày từ 7 – 12/9 để đảm bảo an toàn trong bão Yagi (bão số 3).

(VTC News) - Hàng loạt tour du lịch đã bị hủy bỏ, du khách tìm nơi trú ẩn an toàn theo thông báo cấm biển từ trưa nay (6/9) của tỉnh Quảng Ninh.

(VTC News) - Lúc 12h ngày 6/9, siêu bão Yagi mạnh cấp 16, cách Quảng Ninh khoảng 510km, dự báo trong 12 giờ tới, bão giảm xuống cấp 15.

(VTC News) - Bộ Thông tin và Truyền thông yêu cầu các doanh nghiệp viễn thông sẵn sàng roaming (chuyển vùng dịch vụ viễn thông) giữa các mạng di động để ứng phó siêu bão Yagi.

(VTC News) - Trước diễn biến phức tạp, khó lường của siêu bão Yagi, Sở GD&ĐT Hà Nội yêu cầu các trường không tổ chức học, kể cả học thêm vào thứ Bảy ngày 7/9.

(VTC News) - Theo đại diện Hanoi Metro, trong điều kiện mưa bão, 2 tuyến tàu điện Hà Nội sẽ chuyển từ lái tự động sang lái thủ công, nếu gió to vượt ngưỡng sẽ xem xét dừng chạy.

(VTC News) - Hiện hầu hết các địa phương khu vực Bắc Trung Bộ đã lên kế hoạch phòng chống siêu bão Yagi, các tàu thuyền đều có nơi trú tránh hoặc hoạt động ở vùng an toàn.

(VTC News) - Theo chuyên gia thời tiết, bão Yagi ảnh hưởng gián tiếp đến các tỉnh miền Nam gây mưa lớn cục bộ kèm theo gió giật mạnh.

(VTC News) - Cục Quản lý đê điều và Phòng chống thiên tai lưu ý người dân không nên chủ quan và tuân thủ một số khuyến cáo ứng phó với siêu bão Yagi.

(VTC News) - Trung tâm Dự báo khí tượng thủy văn quốc gia phát đi bản tin bão số 3 - siêu bão Yagi mới nhất 6/9 và dự báo thời tiết Hà Nội 10 ngày tới.

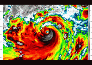
(VTC News) - Siêu bão Yagi là siêu bão mạnh nhất năm 2024 trên khu vực Tây Bắc Thái Bình Dương (tính đến thời điểm hiện tại), 48 tiếng tăng 8 cấp, gây sóng biển cực kỳ mạnh.

(VTC News) - Sáng sớm nay, Yagi tiếp tục duy trì cấp siêu bão, dự báo trong 24 giờ tới bão đi vào vịnh Bắc Bộ với sức gió mạnh nhất cấp 13-14, giật cấp 17.

(VTC News) - Bão Yagi thiết lập nhiều kỷ lục mới: tăng cấp độ nhanh nhất, là siêu bão mạnh nhất năm 2024 và lọt top 3 siêu bão đạt cấp 16 trở lên khi hoạt động trên Biển Đông.

(VTC News) - Cơ quan khí tượng phát đi bản tin cập nhật đường đi và cường độ của siêu bão Yagi cũng như cấp bão khi đổ bộ đất liền nước ta.

(VTC News) - Dự báo khoảng đêm 6/9, siêu bão Yagi sẽ vượt qua khu vực phía Bắc đảo Hải Nam (Trung Quốc) di chuyển vào vịnh Bắc Bộ, sau đó đổ bộ đất liền nước ta.

(VTC News) - Phó Thủ tướng Trần Hồng Hà yêu cầu từ nay đến trưa 6/9, thực hiện cưỡng chế khách du lịch, khách vãng lai đến nơi an toàn để tránh bão Yagi.

(VTC News) - Cục trưởng Cục Quản lý đê điều và phòng, chống thiên tai khuyến cáo người dân nên ở nhà từ sáng thứ bảy (sáng 7/9) vì bán kính hoàn lưu của siêu bão Yagi rất rộng.

(VTC News) - Bão Yagi đang mạnh ở cấp siêu bão, đang tiến nhanh vào vịnh Bắc Bộ và sẽ ảnh hưởng trực tiếp đến đất liền nước ta.

(VTC News) - Siêu bão là cơn bão có sức gió mạnh nhất từ cấp 16 trở lên với sức phá hoại cực kỳ lớn, sóng biểu cực kỳ mạnh, có thể đánh đắm tàu thuyền có trọng tải lớn.

(VTC News) - Siêu bão Yagi giật cấp 17 đang tiến nhanh vào vịnh Bắc Bộ, gây ảnh hưởng đến đất liền nước ta từ chiều 7/9, Hà Nội cũng nằm trong vùng chịu tác động của bão.

(VTC News) - Bí thư, Chủ tịch UBND cấp tỉnh chịu trách nhiệm trước Ban Bí thư, Thủ tướng nếu chủ quan, lơ là trong lãnh đạo chỉ đạo, chậm triển khai ứng phó với bão, lũ dẫn tới thiệt hại lớn về người và tài sản.

(VTC News) - Bão số 3 đã mạnh lên thành siêu bão, đang tiến nhanh về vịnh Bắc Bộ và gây gió to, sóng lớn trên biển, từ đêm mai Bắc Bộ và Bắc Trung Bộ khả năng mưa rất to.