Triều Tiên tuyên bố bắt giữ gián điệp Hàn Quốc
![]() |
| Các binh sĩ Triều Tiên canh gác ở khu vực biên giới với Hàn Quốc |
Kể từ sau năm 1953, cả Triều Tiên và Hàn Quốc thỉnh thoảng công bố bắt giữ công dân của nhau vì bị cáo buộc làm gián điệp.
Palestine yêu cầu điều tra quốc tế cái chết của ông Arafat
Chính quyền Palestine ngày 7/11 yêu cầu một cuộc điều tra quốc tế về cái chết của cố Tổng thống nước này Yasser Arafat sau khi các nhà khoa học Thụy Sĩ tái khẳng định giả thuyết ông Arafat tử vong do bị đầu độc.
Ông Abu Yusef, một thành viên cấp cao của Tổ chức Giải phóng Palestine cho rằng, cần phải thành lập một ủy ban điều tra quốc tế về nguyên nhân cái chết của cố Tổng thống Arafat, tương tự như Ủy ban được lập ra để điều tra cái chết của cố Thủ tướng Lebanon Rafic Hariri.
![]() |
| Cố Tổng thống Yasser Arafat |
Ủy ban điều tra về cái chết của nhà lãnh đạo Palestine dự kiến sẽ mở họp báo vào ngày 8/11 tại thành phố Ramalla thuộc khu Bờ Tây.
Mỹ tái khẳng định quan hệ đồng minh vững chắc với Đức
Ngày 7/11, Ngoại trưởng Mỹ John Kerry thừa nhận quan hệ giữa Mỹ và Đức đã phát sinh căng thẳng liên quan tới vụ bê bối do thám của Washington, song khẳng định quan hệ giữa hai nước đồng minh này vẫn vững chắc.
![]() |
| Thủ tướng Đức Angela Merkel và Tổng thống Mỹ Obama |
Phát ngôn viên Chính phủ Đức Steffen Seibert cũng nhấn mạnh rằng đồng minh phía bên kia bờ Đại Tây Dương có đóng vai trò lớn trong chính sách đối ngoại và an ninh của Berlin.
Mỹ khẳng định sẽ sớm ấn định thời điểm tổ chức Geneva 2
Ngoại trưởng Mỹ John Kerry ngày 7/11 bày tỏ tin tưởng, trong vài ngày tới các bên liên quan có thể ấn định được thời điểm cụ thể cho Hội nghị quốc tế lần thứ 2 về hòa bình Syria (hay còn gọi là Hội nghị Geneva 2).
Trước đó quan chức cấp cao nhiều nước khẳng định hội nghị sẽ diễn ra vào ngày 23/11 tới, song cả Nga và Mỹ, hai nước khởi xướng hội nghị và Liên Hợp Quốc đều không xác nhận thông tin. Tới nay, Nga và Mỹ vẫn chưa thể thống nhất được thời điểm diễn ra cuộc gặp, cũng như thành phần tham dự.
![]() |
| Ngoại trưởng John Kerry đến thủ đô Amman ngày 7/11 |
Thổ Nhĩ Kỳ thu giữ nhiều đầu đạn gần biên giới Syria
Theo AFP, giới chức Thổ Nhĩ Kỳ ngày 7/11 đã tịch thu số lượng lớn đầu đạn rocket ở gần biên giới với Syria.Phát biểu trên Đài truyền hình NTV, Thị trưởng Adana, ông Huseyin Avni Cos, cho biết theo mật báo, cảnh sát Thổ Nhĩ Kỳ đã chặn một xe tải ở Adana, nơi cách biên giới Syria khoảng 50 km, và tịch thu 1.200 đầu đạn rocket.
![]() |
| Binh lính Thổ Nhĩ Kỳ |
Brazil nghi ngờ bị Mỹ nghe lén
Thượng nghị sĩ Vanessa Graziotin, Chủ nhiệm Ủy ban Điều tra về hoạt động gián điệp của Quốc hội Brazil, cho rằng Mỹ cần phải đưa ra “lời giải thích thỏa đáng” về việc sử dụng tới 841 ăng-ten, phần lớn là ăng-ten di động, tại thủ đô Brasilia và các thành phố khác như báo chí Brazil đã đăng tải.
Ủy ban điều tra do bà Graziotin đứng đầu được Quốc hội Brazil thành lập tháng 9 vừa qua sau khi báo chí phanh phui các hoạt động do thám của NSA nhằm vào quốc gia lớn nhất Mỹ Latinh này.
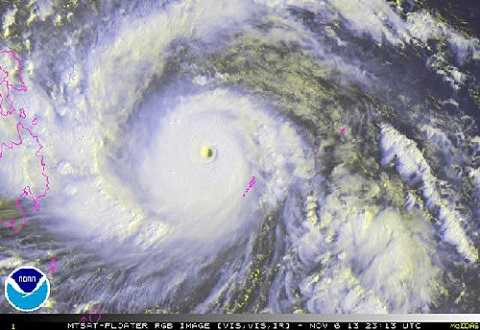
Siêu bão mạnh nhất thế giới đổ bộ Philippines
Cơn bão Haiyan được đánh giá mạnh nhất thế giới trong năm nay đang đổ bộ vào Philippines, khiến chính quyền phải sơ tán người dân, đóng cửa trường học và hủy nhiều chuyến bay.
Theo AFP, siêu bão Haiyan di chuyển với sức gió mạnh trung bình 330 km/h và dự đoán sẽ đổ bộ vào đảo Samar, nằm cách thủ đô Manila 600 km về phía đông nam, sau đó di chuyển về vùng trung và nam Phillippines và tiến vào Biển Đông trong ngày 9/11.
![]() |
| Ảnh vệ tinh siêu bão Haiyan sắp đổ bộ vào Phillippines |
Tổng thống Philippines Benigno Aquino ra lời kêu gọi người dân thực hiện công tác chuẩn bị kỹ lưỡng nhất có thể để đối phó với siêu bão.
Tùy Phong (tổng hợp)


















Bình luận