Tin siêu bão Ragasa mới nhất và dự báo thời tiết 10 ngày tới
Cơ quan khí tượng phát đi bản tin mới nhất về siêu bão Ragasa - cơn bão mạnh nhất trong lịch sử bão trên Biển Đông, đồng thời dự...
Cơ quan khí tượng phát đi bản tin mới nhất về siêu bão Ragasa - cơn bão mạnh nhất trong lịch sử bão trên Biển Đông, đồng thời dự...
Sáng sớm 25/9, bão số 9 Ragasa ảnh hưởng trực tiếp các khu vực đất liền từ Quảng Ninh tới Nghệ An, gây đợt mưa lớn đến 400mm cho...
Dự báo thời tiết ngày 23/9, Bắc Bộ ban ngày trời nắng, nhiệt độ cao nhất 34°C trước khi đón đợt mưa lớn diện rộng kéo dài từ đêm...
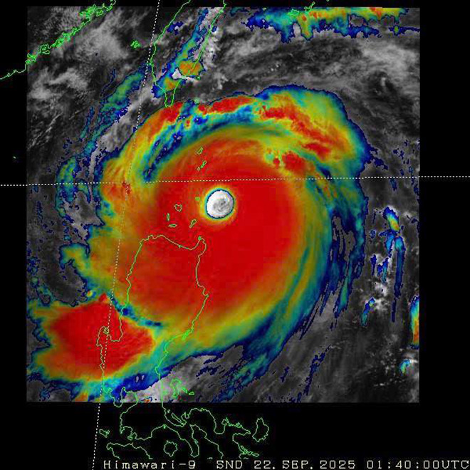
Tối nay 22/9, siêu bão Ragasa đã đi vào vùng biển phía Đông Bắc của khu vực Bắc Biển Đông, trở thành cơn bão số 9...
Đêm nay siêu bão Ragasa sẽ đi vào Biển Đông, dự báo ngày 25/9 đổ bộ Quảng Ninh - Ninh Bình, cơ quan khí tượng đưa ra nhận định về...
Theo chuyên gia, siêu bão Ragasa đêm nay sẽ đi vào Biển Đông, đây là một trong những cơn bão mạnh nhất trên Biển Đông.
Cơ quan khí tượng phát đi bản tin mới nhất dự báo đường đi, cường độ siêu bão Ragasa đang tiến nhanh vào Biển Đông và sẽ ảnh...
Siêu bão Ragasa có thể duy trì cấp siêu bão (cấp 16-17) trong 48 giờ tới, dự báo đổ bộ đất liền nước ta, trọng tâm từ Quảng Ninh...
Siêu bão Ragasa được Cơ quan Khí tượng Nhật Bản phân loại là bão cực mạnh, mạnh hơn một chút so với Yagi năm 2024, dự báo tối nay...
Cơ quan khí tượng cho biết, tương tác của không khí lạnh với bão trong những ngày tới sẽ khiến quỹ đạo cũng như cường độ của bão...
Bão Ragasa đang tiến nhanh về phía Biển Đông, dự báo sẽ đạt cấp cực đại (cấp 17) khi tiến vào khu vực biển này gây sóng cao trên...
Dự báo thời tiết ngày 22/9, miền Bắc tiếp tục hứng mưa rào và dông, cục bộ mưa to đến rất to, tối cùng ngày, siêu bão Ragasa có...
Bão Ragasa mạnh lên cấp siêu bão, dự báo tối mai 22/9 đi vào Biển Đông và sẽ đổ bộ đất liền nước ta trong ngày 25/9, trọng tâm ở...
Bão Ragasa tiếp tục mạnh lên, sức gió vùng gần tâm bão mạnh cấp 14-15, giật cấp 17, sẽ đi vào Biển Đông với cường độ siêu bão.
Theo dự báo, bão Ragasa liên tục tăng cấp, hiện mạnh cấp 14, giật cấp 17 và sẽ mạnh cấp siêu bão (cấp 16-17) khi vào Biển Đông,...
Dự báo thời tiết ngày 21/9, Hà Nội và các tỉnh, thành miền Bắc ban ngày trời nắng, cao nhất có nơi trên 34°C, từ đêm cùng ngày,...
Theo nhận định của cơ quan khí tượng, bão Ragasa tăng cấp nhanh, sẽ mạnh lên cấp siêu bão và đi vào Biển Đông trong ngày 23/9.
Cơ quan khí tượng phát đi bản tin mới nhất về bão Ragasa, khi vào Biển Đông sức gió mạnh nhất vùng gần tâm bão nguy cơ đánh đắm...
Bão Ragasa được đánh giá là cơn bão rất mạnh, khi vào Biển Đông có thể đạt cấp 15-16, giật trên cấp 17 gây thời tiết xấu trên...
Dự báo thời tiết ngày 20/9, Bắc Bộ trời nắng với nhiệt độ cao nhất lên đến 35°C, trước khi hứng liên tiếp hai đợt mưa lớn.
Cơ quan khí tượng nhận định, bão Ragasa có thể mạnh cấp siêu bão, giật trên cấp 17 và đang tiến vào Biển Đông, từ ngày 23/9 gây...
Những ngày cuối tháng 9, Biển Đông liên tục hứng bão, trong đó bão Ragasa có thể thành siêu bão; còn trên đất liền, miền Bắc được...
Dự báo đầu tuần tới, bão Ragasa tiến vào Biển Đông, cơn bão này được nhận định là rất mạnh, có thể đạt cấp siêu bão (cấp 16).
Cơ quan khí tượng phát đi bản tin mới nhất cập nhật cường độ, khu vực ảnh hưởng của bão số 8 Mitag và nhận định thời tiết cả nước...
Dự báo thời tiết ngày 19/9, mưa dông tiếp tục bao trùm nhiều khu vực trên cả nước, nguy cơ kèm theo các hiện tượng thời tiết cực...
Ngoài bão số 8 vừa hình thành, Biển Đông có thể đón thêm cơn bão cường độ mạnh, khả năng ảnh hưởng trực tiếp đất liền nước ta...
Áp thấp nhiệt đới trên Biển Đông đã mạnh thành bão số 8 Mitag với cường độ cấp 8, giật cấp 10, Bắc Bộ và Bắc Trung Bộ sắp hứng...
Dự báo thời tiết ngày 18/9, nhiều khu vực trên cả nước tiếp tục hứng mưa dông, nguy cơ xảy ra lốc, sét, mưa đá và gió giật mạnh,...
Cơ quan khí tượng đã phát đi bản tin dự báo thời tiết cả nước 10 ngày tới và nhận định, trong 24 giờ tới, áp thấp nhiệt đới sẽ đi...
Theo nhận định của cơ quan khí tượng, trong 24 giờ tới, áp thấp nhiệt đới sau khi di chuyển vào Biển Đông sẽ mạnh lên thành bão,...