
Thực hư bức ảnh Tổng thống Trump đi xuồng máy cứu hộ nạn nhân siêu bão Florence
Bức ảnh Tổng thống Trump ngồi xuồng máy cứu một người đàn ông giữa dòng nước lũ trong siêu bão Florence được cộng đồng mạng Mỹ chia sẻ chóng mặt.

Bức ảnh Tổng thống Trump ngồi xuồng máy cứu một người đàn ông giữa dòng nước lũ trong siêu bão Florence được cộng đồng mạng Mỹ chia sẻ chóng mặt.

Một người đàn ông khẳng định đã ghi lại hình ảnh của bóng ma "Người Xám" huyện thoại khi cơn bão Florence đổ bộ vào Bắc Carolina, Mỹ.

Ít nhất 17 người thiệt mạng trong đó có 2 trẻ sơ sinh khi bão Florence càn quét bờ Đông nước Mỹ, dự đoán mưa lớn gây ngập lụt nghiêm trọng tiếp tục diễn ra trong những ngày tới.

Nam phóng viên bị dân mạng chỉ trích là "diễn quá đà" khi đứng ngoài trời mưa gió đưa tin trực tiếp về siêu bão Florence.

Cảnh sát thành phố Wilmington hôm 15/9 bắt giữ ít nhất 5 người có liên quan tới các vụ cướp bóc tại một cửa hàng trên đường Greenfield không lâu sau khi siêu bão Florence càn quét Bắc Carolina khiến nhiều khu vực trên toàn bang bị cô lập.

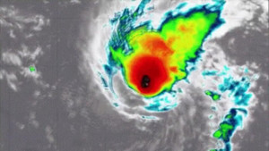
Bức ảnh vệ tinh gây choáng váng khi cho thấy siêu bão Florence được đánh giá là nguy hiểm nhất trong 60 năm chuẩn bị đổ bộ bờ Đông nước Mỹ chỉ là 1 trong số 9 cơn bão nguy hiểm đang hoạt động trên toàn cầu, vào cùng một thời điểm.

Hơn 1 triệu người Mỹ cấp tập sơ tán do siêu bão Florence đặc biệt nguy hiểm sắp đổ bộ bờ đông nước này.