
Núi lửa ở Philippines phun trào, tạo ra cột tro bụi cao gần 4.000m
Một vụ phun trào dữ dội xảy ra tại miệng núi lửa Kanlaon vào lúc 5h51 phút sáng 8/4, tạo ra cột khói cong khổng lồ cao khoảng 4.000m, trôi dần về phía tây Nam.

Một vụ phun trào dữ dội xảy ra tại miệng núi lửa Kanlaon vào lúc 5h51 phút sáng 8/4, tạo ra cột khói cong khổng lồ cao khoảng 4.000m, trôi dần về phía tây Nam.

Cựu Tổng thống Philippines Rodrigo Duterte bị Tòa án Hình sự Quốc tế (ICC) cáo buộc giết người do cuộc chiến chống ma túy, sẽ bị giam giữ tại một cơ sở ven biển.

Tên lửa hành trình BrahMos đang thu hút sự quan tầm của một số quốc gia Đông Nam Á, sau khi Philippines mua phiên bản bờ biển của loại vũ khí của Ấn Độ.

Philippines ngày 10/11 cáo buộc tàu Trung Quốc phun vòi rồng và thực hiện “các hành động nguy hiểm” đối với tàu nước này đang tiếp tế lương thực trên Biển Đông.

Ban Chỉ đạo Trung ương về phòng, chống thiên tai vừa ban hành văn bản gửi các tỉnh từ Quảng Ninh đến Cà Mau về sẵn sàng ứng phó siêu bão Surigae giật trên cấp 17.

Bão Dujuan cuốn trôi nhiều nhà cửa, phương tiện, khiến hơn 5.000 người ở Philippines phải sơ tán, hoặc bị cô lập.

Dịch COVID-19 khiến các trường học ở Philippines chuyển sang hình thức học trực tuyến, nhưng nhiều học sinh phải vất vả tìm tín hiệu Internet.

Nhân ngày Quốc tế Động vật 4/10, người dân Philippines đưa thú cưng đến dự lễ ban phước cho động vật.

Mary Mae Dacanay, sống tại Philippines đang thành công với những tác phẩm khắc tỉa độc đáo trên lá trong thời gian nghỉ việc vì dịch COVID-19.

Tiên Nguyễn khoe khoảnh khắc ôm anh trai Phillip Nguyễn sau thời gian tự cách ly tại villa của gia đình ở Vũng Tàu.

Một người đàn ông ở Philipines khiến nhiều người ngỡ ngàng khi lái xe ô tô và chuyển số bằng chân phải một cách mượt mà.

Giây phút thót tim khi chiếc Boeing 737-800 của hãng hàng không Xianmen Airlines trượt khỏi đường băng tại sân bay quốc tế Manila được hành khách ghi lại.

Bộ Ngoại giao Việt Nam đang chuẩn bị các thủ tục để hồi hương thi hài hai công dân bị khủng bố sát hại ở Philippines.

Philippines đang phối hợp với Na Uy và Canada để giải quyết việc các công dân của những nước này bị bắt giữ làm con tin tại miền nam Philipines.

Rùng mình với những món ăn đặc sản của các nước châu Á

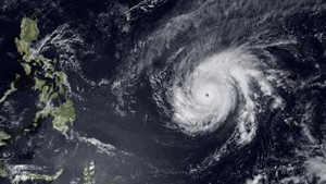
Bão Maysak, cơn bão nhiệt đới có sức tàn phá cấp 5, cấp mạnh nhất theo thang báo bão của Mỹ, sắp đổ bộ vào Philippines.

(VTC News) - Người đẹp Philippines Megan Lynne Young, 23 tuổi, giành ngôi vị cao nhất trong đêm chung kết Miss World 2013 diễn ra tối 28/9.

(VTC News) - Bộ Quốc phòng Philippines vừa đầu tư tiền mua 2 tàu chiến thực sự từ Italia để nâng cao sức mạnh của hải quân trên biển Đông.