
Bão Saola giật cấp 17, đang tiến gần Biển Đông
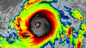
Đầu giờ chiều ngày 29/8, bão Saola giật cấp 17, trên vùng biển phía Đông Bắc đảo Luzon (Philippines), dự báo đi vào Biển Đông trong 48 giờ nữa.

Đầu giờ chiều ngày 29/8, bão Saola giật cấp 17, trên vùng biển phía Đông Bắc đảo Luzon (Philippines), dự báo đi vào Biển Đông trong 48 giờ nữa.

Theo Trung tâm Dự báo khí tượng thuỷ văn quốc gia, Biển Đông sẽ đón bão Saola - bão số 3 năm 2023 trong khoảng 48 giờ nữa.

Áp thấp nhiệt đới vùng biển phía Đông Bắc đảo Luzon (Philippines) đã mạnh lên thành bão, có tên Sao La, dự báo cơn bão này có đường đi phức tạp.

Cơ quan khí tượng cho biết, lúc 1h ngày 27/7, sức gió mạnh nhất vùng gần tâm bão Doksuri mạnh cấp 14 vị trí tâm bão trên vùng biển phía Tây Bắc đảo Luzon.

Lúc 19h ngày 26/7, bão Doksuri giật trên cấp 17, vùng biển phía Đông của khu vực Bắc Biển Đông có mưa bão, gió mạnh cấp 6-7, sau mạnh lên cấp 10-12.

Sáng 26/7, vị trí tâm bão Doksuri trên vùng biển phía Bắc đảo Luzon, sức gió mạnh nhất vùng gần tâm bão mạnh cấp 15-16, giật trên cấp 17 trước khi vào Biển Đông,

Lúc 19h ngày 25/7, bão Doksuri giật trên cấp 17, trên vùng biển phía Đông Bắc đảo Luzon (Philippines), khả năng mạnh thêm trong 24 giờ tới.

Hiện nay, sức gió mạnh nhất vùng gần tâm bão Doksuri mạnh cấp 15 (167-183 km/giờ), giật trên cấp 17; dự báo tâm bão sắp vào Biển Đông.

Theo chuyên gia thời tiết, bão Ma-on đang ở phía Bắc Philippines, cường độ và hướng di chuyển còn có thể thay đổi nhiều khi vào Biển Đông.

Áp thấp nhiệt đới ở phía Đông đảo Luzon mạnh lên thành bão, có tên quốc tế là Ma-on, sẽ đi vào Biển Đông trong 24 đến 48 giờ tiếp theo và mạnh thêm.

Chuyên gia khí tượng cho rằng, việc một siêu bão xuất hiện gần Biển Đông vào tháng 12 là trường hợp hiếm gặp trong nhiều năm trở lại đây.

Khu vực miền Trung Philippines đang có một cơn bão hoạt động với sức gió giật cấp 10, tên quốc tế là Choi-wan.

Sáng 19/4, tâm siêu bão Surigae cách bờ biển miền Trung Philippines khoảng 270km về phía Đông, sức gió mạnh nhất vùng gần tâm siêu bão mạnh cấp 17, giật trên cấp 17.

Hơn 19.000 người dân tỉnh Catanduanes sơ tán đến nơi trú ẩn tạm thời để tránh siêu bão cách Catanduanes 290 km về phía Đông hôm 18/4.

Ban Chỉ đạo Trung ương về phòng, chống thiên tai vừa ban hành văn bản gửi các tỉnh từ Quảng Ninh đến Cà Mau về sẵn sàng ứng phó siêu bão Surigae giật trên cấp 17.

7h sáng nay, vị trí tâm siêu bão SURIGAE cách bờ biển miền Trung Philippines khoảng 420km về phía Đông với sức gió mạnh nhất giật trên cấp 17.

Trước diễn biến phức tạp của cơn bão Sanba, TP.HCM đã yêu cầu các sở, ban, ngành theo dõi chặt chẽ diễn biến và hướng đi của cơn bão trong dịp Tết Nguyên đán 2018.

Cơn bão Sanba được hình thành ở phía Đông miền Nam Philippines đang có xu hướng mạnh lên và tiến nhanh về hướng Biển Đông nước ta.

Chiều nay (11/2), áp thấp nhiệt đới trên khu vực phía Đông miền Nam Philippines đã mạnh lên thành bão và có tên quốc tế là Sanba.

Dự báo trong 24 giờ tới, bão di chuyển theo hướng Tây Tây Bắc, tốc độ di chuyển nhanh (20-25km/h) và có khả năng mạnh thêm, đi vào Biển Đông.

Cơn bão Tembin giật cấp 12 vẫn đang tiếp tục mạnh lên và di chuyển nhanh vào Biển Đông theo hướng Tây.

Dự báo trong ngày hôm nay (12/10), cơn bão có tên quốc tế Khanun sẽ đi vào Biển Đông, trở thành cơn bão số 11.

Gần Biển Đông đang hình thành áp thấp nhiệt đới cùng một cơn bão rất mạnh tên quốc tế là Talim, diễn biến đường đi và sự tương tác của áp thấp nhiệt đới và bão Talim rất phức tạp.

Sáng 6/9, áp thấp nhiệt đới đã mạnh lên thành bão và có tên quốc tế là Guchol.

Lượng mưa trên 300mm liên tục trút xuống trong 2 ngày đã gây ngập lụt tại một số tỉnh vùng cao như Hà Giang, Tuyên Quang, Thái Nguyên...

Bão Nock-ten di chuyển theo hướng Tây Bắc với tốc độ khoảng 20-30km/s, đang có xu hướng mạnh dần lên và hướng về phía Biển Đông.

Trong 48 đến 72 giờ tiếp theo, bão có khả năng đổi hướng di chuyển theo hướng Bắc Tây Bắc mỗi giờ đi được khoảng 5-10km.

Dự báo trong 24 giờ tới, bão di chuyển theo hướng Tây Tây Bắc, mỗi giờ đi được khoảng 15-20km, sức gió mạnh nhất ở vùng gần tâm bão mạnh cấp 8-9 (60-90km/giờ), giật cấp 10-11.

Trên Biển Đông, cơn bão Sarika cách đảo Lu Dông khoảng 440km về phía Đông Đông Nam, sức gió mạnh nhất ở vùng gần tâm bão mạnh cấp 12, giật cấp 13-14.

Dự báo trong 24 giờ tới, bão Aere di chuyển theo hướng Tây Tây Bắc, mỗi giờ đi được khoảng 20-25km, sức gió mạnh nhất ở vùng gần tâm bão mạnh cấp 8 (60-75km/giờ), giật cấp 9-10.