
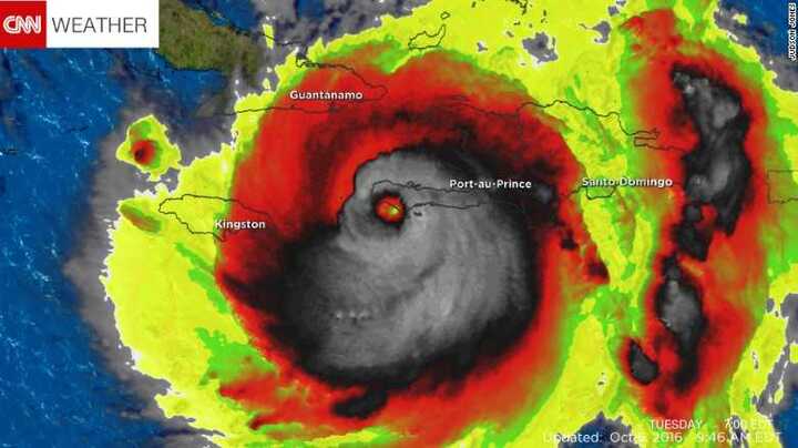
Video: Khoảnh khắc khủng khiếp máy bay lao xuyên qua mắt siêu bão
Có lẽ việc điều khiển máy bay lao thẳng vào mắt siêu bão là điều không phải phi công nào cũng muốn làm và có thể làm, tuy nhiên, các cơ quan chức năng của Mỹ lại phải hoàn thành nhiệm vụ khó khăn này.


