Tiếp theo:Đằng sau những camera AI siêu nét, dù che biển cũng không thể 'né phạt'

Dự báo Biển Đông sắp đón bão số 13, miền Trung mưa lớn

VTC NEWS TV09:36 02/11/2025

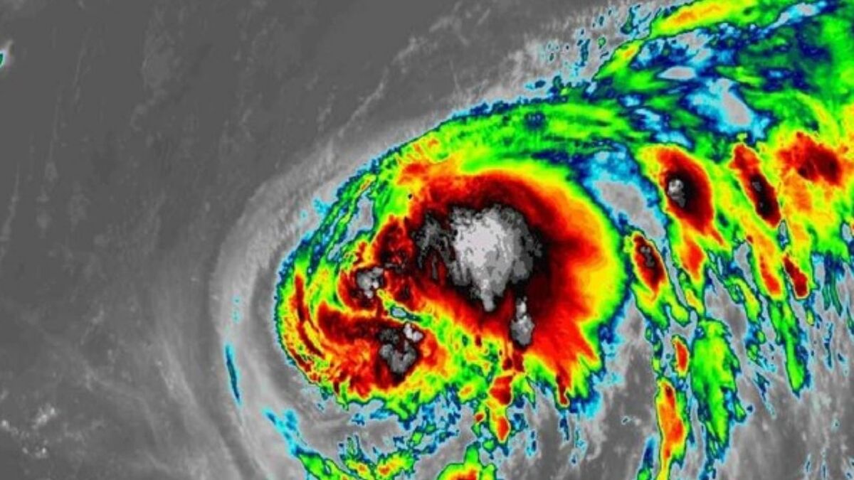
Áp thấp nhiệt đới ở Philippines sẽ mạnh lên thành bão, dự báo cơn bão này sẽ đi vào Biển Đông, trở thành cơn bão số 13, gây mưa lớn tại miền Trung.

Thái Sao Mai
Bình luận
vtcnews.vn
Giấy phép Báo điện tử số 382/GP-BTTTT do Bộ Thông tin Truyền thông cấp lại ngày 12/10/2023.